Solenopsis geminata-Жнецы

Итак, приветствую всех на страницах этого блога посвященного муравьям Solenopsis geminata.

Долго я думал как назвать этот блог, ведь надо же в нём как то отразить и его содержание и сущность самих муравьёв, а сущность эта, как все знают, откровенно зверская. И, кажется, я таки отразил в названии то что хотел.
Жнец-человек пожинающий (срезающий, собирающий) урожай злаковых или других сельскохозяйственных культур.
Жнец-термин для бога или иного существа, посланника самой смерти, отвечающего за переправу душ в загробный мир.

Получил я этих муравьёв 3 недели назад благодаря Роману (Dr. Zoidberg).
Муравьи были в малюсенькой пробирке диаметром около 5мм и длиной около 4 см. Ватка в пробирке уже подсыхала и я решил их переселить, но то ли из-за стресса, то ли из-за того что их было слишком мало (матка и 5 рабочих) муравьи переселяться отказались и просто сидели в пробирке сбившись в кучку. Прождав сутки я решил таки переселить их насильно ибо переходить сами они продолжали откровенно отказываться. Муравьи были очень пассивны и даже проигнорировали таракана. Обмозговав всю ситуацию я посадил их в "Установку автономного содержания". То есть просто затемнил инкубатор, подключил к нему пробирку с маком и кинул туда до кучи немного бразильского ореха.
На мое удивление данный метод поднятия оказался очень результативным. На следующий день немного мака уже перетащили в инкубатор, а матку я застал грызущей небольшой кусочек бразильского ореха. Сейчас там уже внушительная кучка расплода на всех стадиях.
Переселять в формик, подключать арену и кормить животным кормом я планирую когда муравьям станет тесно в этом инкубаторе.
Фото:

Изображения: 

Комментарии

Аватар пользователя Quelleyllan

1 - Позаботься о системе

Позаботься о системе антипобега для этой семьи пожалуйста заранее пока есть время, чтобы ты и этих не сварил.

Аватар пользователя bx

2 - whex Формикарий - это in

whex
Формикарий - это in vivo

ну мы же говорим о наблюдениях и экспериментах с живыми организмами))
Для понимания картины не обязательно учитывать все природные факторы)) они ведь влияют и не на массово летящие виды, не так ли)

Аватар пользователя whex

3 - bx экспериментах с живыми

bx
экспериментах с живыми организмами))

А что, in vitro подразумевает исключительно эксперименты с мёртвыми организмами?

bx
Для понимания картины не обязательно учитывать все природные факторы

Я даже не знаю, что тут сказать. Впрочем, это прекрасно иллюстрирует Ваш подход к делу. Там по сарафанному радио услышали, тут вконтакте прочитали - и вперёд, демагогировать.

Аватар пользователя bx

4 - whex Я даже не знаю, что тут

whex
Я даже не знаю, что тут сказать

И я, даже пояснять не буду)
А подходы видны по моим колониям))
И да) вконтакте я читаю лишь свою группу-это о вашем подходе к додумал)

Аватар пользователя whex

5 - bx А подходы видны Не только

bx
А подходы видны

Не только по колониям, но и по Вашим спорам. Я что, просто так интересовался, как там Ваш тефлон поживает?

Аватар пользователя bx

6 - whex просто так

whex
просто так интересовался

детский сад)

Аватар пользователя whex

7 - bx детский сад) Володя,

bx
детский сад)

Володя, детский сад - это Ваше поведение. Вы и в споре про тефлон брызгали желчью, что я ничего не понимаю и должен заткнуться.
Тем не менее, глупый я оказался прав - расколоть атом молотком у Вас не вышло.

iorecs, извините за бардак, увлёкся.

Аватар пользователя bx

8 - whex Вы и в споре про тефлон

whex
Вы и в споре про тефлон брызгали желчью, что я ничего не понимаю и должен заткнуться.

Антон, прошу, не стоит. Вы что умышленно провоцируете на спор? Я даже цитату в этой теме взял не вашу, так как знал что прицепитесь!
Достаточно почитать ту тему. Я вас в СВОЕЙ теме просил, есть чем помочь, всегда рад, нет-побудьте читателем!!!
Повторюсь не начинайте балаган!!!
Прошу прощения и предлагаю потереть это безобразие!

Аватар пользователя iorecs

9 - Да уж...

Действительно, подобные споры это последнее, что должно писаться в блоге о колонии геминаты. Хотя с другой стороны я рад, что в нём пишет кто-то помимо меня, а то я уже было скучать начал.

Quelleyllan
Позаботься о системе антипобега для этой семьи пожалуйста заранее пока есть время, чтобы ты и этих не сварил.

Можете так не волноваться за мои колонии, побегов я не допускаю. А если понадобиться убрать колонию из дома, будь то временно или постоянно у меня есть человек на подхвате, который с удовольствием примет эту колонию.

В дальнейшем предлагаю не углубляться во всякие бредни и общаться по существу не переходя на личности.

Аватар пользователя bx

10 - iorecs побегов я не

iorecs
побегов я не допускаю

У меня растет инвикта, растет быстро)
Кормить в пробирке уже очень сложно. Как контролируете побеги, они же такие мелкие?

Аватар пользователя iorecs

11 - Масло..

В качестве антипобега использую масло. Особо не лезут, но когда пытаются сбежать-вся крышка снизу просто красная от муравьёв которые штурмуют полосу в 3 слоя. Как правило, чтобы остановить надо просто обновить масло ваткой. Формикарий полностью акриловый, в отличии от бикаринатумов трубки они не грызут (возможно, пока не грызут), так что пока что держимся. После добавления еще двух модулей у муравьёв существенно убавился аппетит, но подозреваю, это больше связано с низкой температурой в квартире.

Аватар пользователя bx

12 - iorecs В качестве антипобега

iorecs
В качестве антипобега использую масло

Масло я так понимаю автомобильное?
У бикаринатумов до не давнего времени масло тоже действовало, а потом они стали по нему просто ходить.

Аватар пользователя KeeperAnts

13 - bx Масло я так понимаю

bx
Масло я так понимаю автомобильное?

как я знаю, он использует масло "джонсон беби"

Аватар пользователя iorecs

14 - О да))

О да, как купил 4 года назад баночку, так до сих пор им и пользуюсь. Автомобильное масло пробовал пить-потом было не очень хорошо, по этому использую более безопасный вариант, а то кто его знает.

P.S. Не судите строго мои методы, у меня такой контроль качества))

Аватар пользователя Seafrost

15 - Я использовал масло для

Я использовал масло для гидравлики, органическое (вроде), по МОРПОЛ'у ,безопасное для окружающей среды. И сингулярисы и ароматные нормально себя чувствовали, но барьер не проходили. И сейчас его использую для фейдолек

Аватар пользователя iorecs

16 - Мышка

Вот решил сфотографировать остатки скелета... Пока и их не смололи в труху.

DSC03178.JPG
Аватар пользователя iorecs

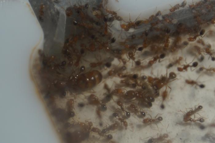
17 - Физогастрия у матки

Наконец-то удалось сделать пару фото матки геминаты, ибо в кипящем месиве красных тел, расплода и обломков насекомых ее не видно месяцами. Фото, безусловно, не ахти, но суть их не в качестве, а в том, что видно насколько физогастрировано у матки брюшко.

Кстати о колонии-муравьи живут едят и держатся, примерно, на одном уровне численности, ибо смертность и рождаемость примерно уровнялись. Но это скорее из-за того, что в квартире довольно холодно и, также, из-за того, что белка я им почти не давал, сидели на одном зерне.
Пару недель назад, в следствии сильного расплождения мадерских тараканов решил каждый день давать геминате несколько штучек, думаю это подстегнет развитие и они заполнят, таки, все имеющееся у них пространство.
Также иногда даю им мышек, когда змеи не доедают, рыбий корм, хлеб, мед, варенье и все что попадется под руку, кроме всякого потенциально ядовитого и токсичного. Также я больше не даю магазинное мясо, ибо от него мрет много рабочих и муравьи его не очень едят, видимо мясо такое, раньше свинину уплетали только так.

Кстати, цилиндр от шприца на фото играет роль внешней камеры увлажнения и воронки. Муравьев я увлажняю как правило спонтанно и всегда перед тем как брать что-либо из шкафа (или просто чтобы открыть его) тщательно мою руки. Чтобы обходить это и не брать каждый раз шприц или пипетку я использую этот цилиндр, который позволяет заливать воду в любую из камер увлажнения прямо из графина.

DSC03381.JPG DSC03383.JPG DSC03384.JPG
Аватар пользователя iorecs

18 - Тревожный звоночек зазвенел... ЧП у геминаты

Из формиков с геминатой начали сами собой вылетать болты. Уже второй за неделю. Если в первый раз я смог заменить ибо была гайка в запасе, то в этот раз гаек уже нету. Зажал струбциной.
Если еще один вылетит использую большую полутораметровую струбцину. Если продолжится дальше-не знаю что буду делать.

Побег из-за этого, кстати, произошел что надо. Муравьи массово разбежались по коридору и пошли пить воду в ванную. Слава богу никто не успел наткнутся на скорпионов и кроме геминаты, в следствии инцидента, никто не пострадал.

DSC03389.JPG DSC03390.JPG
Аватар пользователя Никита N.

19 - iorecs Из формиков с

iorecs
Из формиков с геминатой начали сами собой вылетать болты

Это сама гемината их тихонько выкручивает...

Аватар пользователя Wan1

20 - iorecs в этот раз гаек уже

iorecs
в этот раз гаек уже нету
Если продолжится дальше-не знаю что буду делать.

КО подсказывает - купить гаек. ;)
А лучше сразу и винтов горсть, да поменять их все превентивно.

Аватар пользователя likeman

21 - .

Wan1
купить гаек

Любой мало-мальски приличный строительный магазин, отдел "Метизы".

Аватар пользователя Quelleyllan

22 - iorecs Если еще один вылетит

iorecs
Если еще один вылетит использую большую полутораметровую струбцину. Если продолжится дальше-не знаю что буду делать.

А подтянуть все винты в фермах? не?

Аватар пользователя iorecs

23 - Quelleyllan КО подсказывает -

Quelleyllan
КО подсказывает - купить гаек. ;)
А лучше сразу и винтов горсть, да поменять их все превентивно.

Quelleyllan
А подтянуть все винты в фермах? не?

Займусь.

Аватар пользователя iorecs

24 - ...

Это был анцитрус...

DSC03368.JPG DSC03359.JPG DSC03362.JPG