Степные бегунки. 5 Цариц - 1 семья

Приветствую всех!
Бегунки появились у меня 9 мая 2013 года. Ничего не планировал,просто были в деревне на дне рождения. Были там 2-3 дня , поэтому делать было нечего и я просто один гулял по степи. Всегда когда приезжаем туда я так гуляю..В этом году я хочу поездить подальше от деревни и поискать мессоров,так как помню что когда был маленький я их видел, я всегда любил живность , поэтому не мог не запомнить как они выглядели. Вот только были эти мессоры даже не структоры ,а размером по крупнее и с Красными головами.
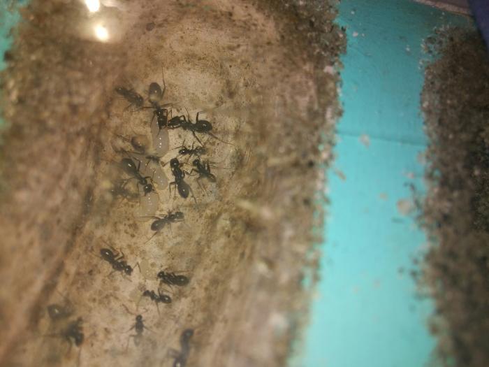
Про бегунков. В общем выловил из крупной семьи 150-200 шт. муравьев и 5 маток. Причем! в муравейнике точно осталось еще 4 матки,возможно больше.Бегунков в степи тысячи и тысячи муравейников,изредка встречаются сервиформики и еще реже нигеры(хоть где то их почти нет!) Что удобно, это то что у нас там построили водохранилище и вокруг везде разбросаны камни, под которыми и живут бегунки. Поднимал я не один камень, поэтому могу сказать что в мае месяце в муравейниках находилось в среднем по 8-10 маток.

По приезду домой я запустил их в 10-литровый аквариум с песком, с верху грел лампочкой. До дна была трубочка ,через нее и увлажнял. После переселил в гипсовый формикарий ( плита в аквариуме), поэтому было очень не удобно за ними ухаживать + постоянные побеги.

Теперь сделал вместе с папой тоже гипсовый формикарий , но уже отдельно от арены ( папа помогал распилить дерево ,обработать орг. стекло,прикрутить)
Орг. стекло кстати немного царапаное, но ничего нормально. Стекло кстати дали в фирме которые занимаются рекламной вывеской (за просто так! :)) Т.к в городе продают только большие листы 2 х 3 метра!)
Попробовал подкрасить гипс красным колером , цвет получился "Розоватый" (т.к боялся много добавлять). Лицевую часть покрасил худож-ой акриловой краской цвета "Мятная". Фото колера и краски прикладываю. Арену залил гипсом и подсвечиваю галогенной лампой. Также сфотографировал момент переселения (неделя назад) + видео (на сегодняшний день).
Выкладываю фото местообитания (Летооо!!)

Изображения: 

Комментарии

Аватар пользователя Месор

1 - Отдели их бро не мучай

Отдели их бро не мучай животину )) создай два отдельных муравейника)) думаю останетца одна королева

Аватар пользователя qrwe

2 - Бегунки

Так,же держу 3,колонии данного вида(Одесские ребята) одна колония (17 маток) 2 колония, 2 матки, 3 колония с 1 маткой(не замечал,чтобы-мои убивали маток,но в начале создания колонии,были случаи атак,на маток)и их убийств,все было исправлено с помощью добавления рабочих.примерно 40-50 на одну матку.Благо бегунки очень лояльны к себе же,и можно свободно(с одной зоны)добавлять рабочих без воды,и холодильника

Аватар пользователя raushq

3 - Состояние семьи на

Состояние семьи на сегодняшний день. Маток по прежнему 2. Фото с телефона

IMG_20170705_234702.jpg IMG_20170705_234635.jpg IMG_20170705_234601.jpg IMG_20170705_234554.jpg IMG_20170705_234508.jpg
Аватар пользователя raushq

4 - 10 числа вывел из зимовки. На

10 числа вывел из зимовки. На сегодняшний день уже появились яйца. Решил попробовать подогревать с помощью грелки для обуви.

Аватар пользователя raushq

5 - Какие то крупные личинки

Какие то крупные личинки появились,имеются в наличии 5-6 штук. Либо это крупные рабочие , либо кто то еще))) Матки (2) всё еще активно несутся. В общем количество расплода на взгляд 100-150 яиц и личинок, м.б больше, не знаю. Кормлю опарышем ,куколками и соответственно мухами. Тараканов нету...

Аватар пользователя raushq

6 - Степные бегунки

_X5F5xL0acM.jpg PMHvEYHe1yc.jpg u-Xf0NSI1bM (1).jpg
Аватар пользователя raushq

7 - Вот и появился первый кокон.

Вот и появился первый кокон. Кажется что крупные личинки это всё таки рабочие , крупные просто...(как то они усохли чтоли:D)

Аватар пользователя raushq

8 - Большая личинка сплела кокон,

Большая личинка сплела кокон, и он большой.

Аватар пользователя raushq

9 - Греют коконы и личинки под

Греют коконы и личинки под грелкой, перенесли после того как увлажнил это место

Аватар пользователя raushq

10 - Вчера для чего то распаковали

Вчера для чего то распаковали куколку, она сформированная, но ещё белая белая.

Аватар пользователя raushq

11 - Вывелась крылатая особь , и

Вывелась крылатая особь , и это матка!

1234.jpg
Аватар пользователя Cherak

12 - жаль

возможно шанс есть и это просто крылатая для лёта

Аватар пользователя raushq

13 - Cherak возможно шанс есть и

Cherak
возможно шанс есть и это просто крылатая для лёта

:D шанс для чего? У меня ещё 2 плодные матки, с расплодом все в норме

Аватар пользователя raushq

14 - Кстати вывели от яйца до

Кстати вывели от яйца до имаго за 24-25 дней.

Аватар пользователя raushq

15 - 2 матки стали выбегать и

2 матки стали выбегать и пытыться летать. 2 сидит в формике, но одна из них калека и практически не двигается .

Аватар пользователя raushq

16 - Неделю назад вывел с зимовки,

Неделю назад вывел с зимовки, кормлю, грею . появились яйца, достаточно много ( 150-200 точно есть). В семье осталась одна матка, в прошлом году перед зимовкой вторую убили

Аватар пользователя raushq

17 - в наличии примерно 20

в наличии примерно 20 маточных коконов

Аватар пользователя TimK

18 - У меня вот так же выбегали.

У меня вот так же выбегали. Пытались вербовать свиту из рабочих. Крылья сбрасывали. Разборки между собой устраивали. В конце осталась только одна самка. И совсем не та, что была оплодотворенной. Далее стали плодить самцов и семья закончилась...

Аватар пользователя raushq

19 - TimK В конце осталась только

TimK
В конце осталась только одна самка. И совсем не та, что была оплодотворенной. Далее стали плодить самцов и семья закончилась...

День добрый! Пока что всё в порядке, матка плодная. Сегодня начали вылупляться из коконов (от яйца до имаго примерно 3 недели). Уже вылупились несколько рабочих и 2 матки. несколько личинок 4-5 среднего размера не плели кокон, и на одной уже вырисовываются черты , возможно это самцы слишком грудь большая , но возможно и крупные рабочие. Матка всё еще несется , едят как бешеные)

Аватар пользователя raushq

20 - Вывелось уже 7 маток.

Вывелось уже 7 маток. потихоньку рождаются и рабочие. самцов к сожалению пока не видать

Аватар пользователя prografix

21 - raushqвозможно это самцы

raushq
возможно это самцы слишком грудь большая

По голове видно самец это или рабочий.

Аватар пользователя raushq

22 - prografix По голове видно

prografix
По голове видно самец это или рабочий.

Что то не видать этих личинок, походу съели) А мог бы лёт устроить дома,и маток потом всем отправлять:D

Аватар пользователя Roker

23 - raushq А мог бы лёт устроить

raushq
А мог бы лёт устроить дома

помечтайте :))))))

Аватар пользователя raushq

24 - Roker помечтайте :)))))) Это

Roker
помечтайте :))))))

Это более чем реально

Аватар пользователя Roker

25 - raushq Это более чем

raushq
Это более чем реально

Пока ни одного даже намёка на удачный лёт в домашних условиях, не видел. Это же не фараонисы какие-нибудь...

Аватар пользователя Яр

26 - raushq Это более чем реально

raushq
Это более чем реально

Можно подробнее, пожалуйста.

Аватар пользователя raushq

27 - Ну вот, уже 12 маток

Ну вот, уже 12 маток насчитал...осталось несколько коконов. Надежды на самцов нет! пришлите мне их кто нибудь пожалуйста, что бы провести лёт

Аватар пользователя Roker

28 - Раушан, 1. Опишите подробно,

Раушан,
1. Опишите подробно, как Вы планируете устроить лёт? Примеров, пока нет.
2. Самцов отправлять, не благодарное дело, ибо не доедут из-за короткого жизненного цикла.

Аватар пользователя raushq

29 - Roker 1. Опишите подробно,

Roker
1. Опишите подробно, как Вы планируете устроить лёт? Примеров, пока нет.
2. Самцов отправлять, не благодарное дело, ибо не доедут из-за короткого жизненного цикла.

По опыту прошлого года, матки выбегают на арену и активно пытаются летать. Не встретив за целый день своего суженого-ряженого забегают обратно ночевать, и так повторяется много дней. Почитайте блог Тимка, там про крылатых написано. У него выводились и самки и самцы ( в разные года) и они так же( с его слов) бегали активно , немного подлетая по арене и самцы даже пытались приставать к рабочим. А таких совпадений не бывает. Значит и самки и самцы ищут цель для спаривания и особых условий вроде влажности или чего еще для них так важно.
Еще кто то в блоге писал что Leptothorax-ОВ спаривал дома. У них конечно всё просто, сам лично видел как на улице при лете они не взлетая с земли спаривались. Поэтому вполне вероятно что и бегунков всё нетрудно. В общем осталось найти самцов

Аватар пользователя Roker

30 - raushq В общем осталось найти

raushq
В общем осталось найти самцов

Искренне желаю Вам успехов, но что-то говорит, что шансов на удачу, при наличии самцов 0,000001%. Хотя, кто их знает, этих муравьёв? :)