Малахов Кирилл - Messor Structor

Всем привет!
Я, увы, забыл о антклабе. Забыл, что тут можно вести блог. Первый опыт с муравьями был неудачным. Я загубил париусов...
Спустя некое время я выиграл в конкурсе у одной компании, а выиграл жнецов. Блог о них я стал вести в соц. сети - ВК. И тут я решил, что можно параллельно запустить ещё один - на антклабе. Ибо пока у меня на том блоге всего 2 подписчика, но те совет дать не могут... просто смотрят блог. Здесь всё будет лучше: тут мне помогут, укажут на косяки, дадут совет, ответят на вопросы, возможно похвалят.
Ну что ж. Мотор!

Комментарии

Аватар пользователя Malakhov Kirill

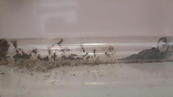
1 - 24.04.2016.

Всем снова привет! Прошу прощения, что запись задержалась на день (по тех. причинам). Что томить? Начну рассказ:

По традиции - расплод: и снова на свет вышло ~ 2 мураша-рабочих; различим пакет яиц той же величины; видны ~ 4 личинки разных размеров; так же можно приметить 1 куколку последней стадии "прожарки", 2 лишь слегка "поджаренных" и ещё пару светленьких. Ну, дела потихоньку идут вверх =)
Скоро захватим мир!

Из нововведений ничего нет. Иду заказывать всё нужное сейчас. Единственное, что было - достигнут нижний порог в 20'C (во время ночного проветривания). А так мурахи продолжают развиваться в старых условиях.

Посчитать количество пар усиков в семье крайне проблематично. Ладно увидеть фуражиров, медленно слоняющихся по арене, нянек, тусящих у Динозавра и расплода, охранников, которые готовы по команде рвать всё и вся, саму главу семьи, которая то и дело умывается, но вот n рабочих, сидящих на чёрной ватке посчитать вообще не реально. Во засранцы =)

Сегодня только немного получилось написать. Ну, надеюсь, что в следующий раз питомцы что-нить да натворят (и останутся в живых), чтобы мне было о чём написать =)

Но это мы узнаем лишь в последний день сего месяца - 30.04.2016.

24.04.2016(Инкуб.).jpg 24.04.2016.(Арена).jpg
Аватар пользователя Malakhov Kirill

2 - 30.04.2016.

И снова всем доброго дня! Так много произошло, о стольком должен рассказать... Ух! Ну, что томить? Вперёд - к моим мурахам:

Тут должен был бы (по традиции) быть расплод, но... Мне таки пришла посылочка! =) Опять заказывал у AntPlanet. Что в ней было - постоянный читатель знает. Гигрометр, трубка и антипобег прибыли ко мне 28.04.2016. Узнав пару нюансов я объявил День Муравьиного Стресса открытым!

Вот так он проходил:
- Аккуратненько взяв форм с боков я перенёс его на стеллаж. Руки, видимо, относительно крепки - паники почти что не навёл. С 10 рабочих побегали по арене ~7 секунд и успокоились. Недолго они наслаждались безмятежностью жизни с крышкой на арене... Она взлетела вверх. Именно этим мне таки удалось навести такую движуху, что мои спокойные флегматики дали жару! =) На арену сразу же был положен гигрометр. Я был прав - только его обнаружили, так сразу всем стало наплевать на отсутствие крышки, ведь на "Арене" появился грозный и огромный враг, который незнакомо пах! Решение принято - пустить все силы в атаку! Примерно 2/3 пытались пробить мощную броню гиганта... И тут я был прав: защита оказалась крепка =)
- После себя не заставил ждать и антипобег: я помочил в нём палец, а потом стал раскрашивать периметр отверстия с внутренней стороны; повозюкал, повозюкал, в который раз нанёс ПБдМ ("Пугающий Барьер для Муравьёв") на палец и просто ещё пару раз прошёлся по намазываемой поверхности. Поскольку мой отросток на руке летал по пластику, как по маслу, то я сделал вывод, что "забор" готов (как оказалось - был прав). Действия я ещё не видел, т.к. мои жнецы не любят ползать по стенам, а только единицы редко-редко пытаются прикинуться крутыми альпинистами, лазя по потолку.
- Начинался ад для меня: нужно было вставить трубку (Которая, кстати плотно, входит в ту, которая уже есть). А я опять ждал много времени... Толпа носилась по арене, ~4 тусили у входа. Я время не терял - подмёл у инкубатора, а основную свалку в углу не трогал. Долго я так сидел... Ну, а потом эти засранцы мурахи решили отойти. ЕСТЬ!!! Дело сделано! Можно и оставить их в покое...

Ну а теперь - расплод:
Было (в момент переселения): 4 пакета яиц, пол устлан личинками, 2 мелких светлых куколки, 1 покрупней, 1 небольшая "подпрожаренная", 2 тоже небольшие и почти готовые. Ё-хо-хо... Я был крайне удивлён, когда всё это разглядел! А Динозавр-то молодец! Так что, я Вам раньше что-то даже недоговаривал, так что довольно приятный сюрприз для нас =)
Стало (сейчас): 3 пакета яиц, пол устлан личинками, 2 мелких светлых куколки, 1 покрупней, 1 небольшая "подпрожаренная", +2 рабочих (которые рождались на моих глазах, когда их собратья бились с гигрометром). Так что съели 1 пакет яиц. Плохо... Но я ожидал худшего!
Итого: Всё круто! Из "-" - съеден только 1 пакет яиц. =))

Ввожу новый абзац "Показания гигрометра", который теперь будет после расплода. Температура: 25.6'C ; Влажность (арены): 23%

Ну а уже сегодня мои мурахи довольно спокойны, всё хорошо и прекрасно! =) У меня появился дозорный!) Есть всегда 1 муравей, который теперь всегда сидит на гигрометре (с которым уже успели подружиться) - самой высокой точке и "принюхивается" поднимая голову вверх и водя по воздуху усиками. По-моему прикольно =)

Спасибо всем, кто мне посоветовал открыть крышку! Ведь именно сейчас фуражировка стала гораздо активней! Да и сами мураши выставили пару охранников. Сбежать не пытаются - видимо всего хватает. Круто, в общем. =)

И да, все фотки сделаны без макро (плохо с ним сфокусировать), но вроде получилось хорошо, буду теперь так фоткать (Арена и инкуб. = 2 фото за запись) =)

Ещё пара весёлых слов:
Несколько раз наблюдал случай:
Фуражиры флегматично бродят по арене, дозорный спокойно "дозорит", охранники, стоя смирно, защищают вход в инкубатор (в котором царит такая же безмятежность, что и на арене). Внезапно находится разведчик, который начинает что-то подозревать... Ну, а потом бегает с воплями по арене. Другие понимая, что кто-то говорит об опасности тоже ускоряют шаг. На 2-3 секунды, а потом продолжают мирно лазить по арене. Дак вот, этот засранец муравейка бежит внутрь пробирки. Нянькам на него вообще наплевать, а вот Динозвару и её свите - нет. Они начинают ползти к выходу, охрана видит, что царица ни с того не с сего желает спасаться, и просто идут к ней навстречу и заталкивают обратно, мол "Сиди там, где положено. Опасности нет!". Та бредёт обратно, что-то ворча себе под нос (ну или под то, где он у нас), обходит по стене расплод, лежащий на полу (Вон какая у меня Динозвар заботливая мама! О детках всегда помнит, ведь по стенке лазить трудней, чем по чему-то горизонтальному!), садится на своё место и снова начинает безмятежно сидеть.
И все из-за одного засранца рабочего, который стал что-то подозревать =)

Есть и 1 печальная новость... Умер 1й мурашик, из-за старости, ведь он был один из самых маленьких, да и проводил мероприятие я крайне аккуратно.

Надеюсь, что не против мини-рекламы?.. Да ладно Вам, всего разок... Да и то рекламировать буду свой блог. В общем, у меня есть абсолютно такой же только в ВК. Если не затруднит, то зайдите туда, посмотрите ещё разок =) , ну и подпишитесь и где-нибудь налепите лайков, если захотите, то Вы знаете, как меня порадовать =))
Ссылочка: http://vk.com/kirill.malakhov_messor.structor Если подобное рекламировать нельзя, то, Админы, удалите ненужное

Ну, думаю, что всё. Прям добавить нечего!) Ну, если только поздравить всех с наступающим 1 мая!)

Продолжу блог 07.05.2016.

Фотки:
1) 28.04.2016. (Где стоит форм теперь)
2) 28.04.2016. (После переселения)
3) 28.04.2016. (Битва с гигрометром)
4) 30.04.2016. (Инкуб.)
5) 30.04.2016. (Арена)

28.04.2016.(Где стоит форм теперь).jpg 28.04.2016.(После переселения).jpg 28.04.2016.(Битва с гигрометром).jpg 30.04.2016.(Инкуб.).jpg 30.04.2016.(Арена).jpg
Аватар пользователя Malakhov Kirill

3 - /\

Удалить

Аватар пользователя kiev-ant

4 - Да... у меня тоже две мурашки

Да... у меня тоже две мурашки умерло... Причем вторая (первую не видел), я так понял, сама дошла до кладбища :(

Аватар пользователя Malakhov Kirill

5 - /\

Да, печально, когда первые мурахи начинают умирать... Главное, что на место павшей придут много-много молодых!) Ведь пройдёт время, колония станет больше, и мусорка-кладбище станет заполняться быстрее...

Аватар пользователя Malakhov Kirill

6 - 07.05.2016.

Вот и настала новая суббота, и я снова рад Вас приветствовать! Жизнь мурах течёт скучно, по-старому. Хотя разве они могут надоесть? Естественно, нет! Ведь это же сверхудивительные ребята! Вот что творят мои:

После вступления опять возвращается расплод =)
Тут я до сих пор не нарадуюсь! Донце пробирки, верней его часть, усыпана личинками разных стадий (6-8 штук) и куколками, 2 из которых уже темненькие, а другие 5-6 всё ещё белоснежны. На взгляд различимы 3 пакета яиц, да ещё и на фото с инкубатором новый производиться =) Родилось 2 рабочих, умерло 0. Но гордость за колонию воистину взяла тогда, когда рассматривал старые фотки - вон как стало много мурашей! (И будет ещё больше... =) )

Помните, что вводил неделю назад? Хоть ответ "да", хоть "нет", а новинка - показания гигрометра (не зря же я его покупал!).
Вот и они:
- Влажность: 37%
- Температура: 25.9'C

Дак что же случилось с моими подопечными спустя неделю после Дня Муравьиного Стресса? Всё хорошо) Успокоились и отсиживаются в инкубаторе. Есть и охрана (2-3 штуки), фуражиры (4-8 штук), а дозорный переехал на инкубатор (можно видеть на фото инкуба). Вот такие дела =)

Если Вы впервые читаете мой блог и он Вас радует, то гляньте и предыдущие записи, среди них, считаю, есть достойные =)

Поздравляю с наступающим Днём Победы! И прощаюсь на этом!)

Следующая запись 14.05.2016.

07.05.2016.(Инкуб.).jpg 07.05.2016.(Арена).jpg
Аватар пользователя Malakhov Kirill

7 - 15.05.2016.

Всем доброго времени суток! Блог задержался на день, значит были на то веские причины. Зато эта запись будет большая =) Сейчас узнаете, почему:

Тут такие дела происходят... Я муравьёв в форм заселил) "Почему?" - спросите Вы, ведь обещал ~27 устраивать им очередной стрессняк. Да потому, что душ у меня как раз столько, сколько нужно) По идее, всё будет хорошо, а руки, как понимаете, чешутся))

Что ж, будем описывать процесс! Вчера вечером уточнил про увлаговление форма. Написали, что мол "влажность нужно определять самому" - коль нужно, так буду учиться. Капнул 3 пипетки и открыл ватку. Первые 3 минуты мурахам было абсолютно начхать на изменения. Потом уже фуражирка нашёл сию "непонятную дырень вниз". Было воистину забавно наблюдать над тем, как он пытается спуститься :D К нему даже ещё двое пришли и тоже стали пытаться забраться. Всё тщетно, и в течение пяти минут для первооткрывателей там был «Непонятный барьер». Десантировался первый, второй, третий… Стали спокойно, медленно и осторожно продвигаться вглубь… Гляньте на фото ходов: видите спуск вниз, где ограждено перегородкой? Дак вот дальше – в левую часть мурахи почему-то пути не нашли. Зато сию минуту побежали звать своих сестёр с криками «Смотрите, что мы нашли!!!». Сразу же мои питомцы разделились на 2 группировки: «Красные» (те, что зашли в формик и стали там умываться или просто осматриваться) и «Белые» (те, что оставались с Динозавром и расплодом – няньки и те, что просто ходили по арене на своих шести). А я болел за «Красных» ))) И не зря – ведь парочка побежала звать царицу, а та, дойдя до выхода, высунула голову, поводили усиками и… побрела обратно, мол «Зовёте невесть куда!.. Мне и тут хорошо жилось… Нашли дуру!». Прошёл час… Следующим шагом было урезать влажность в пробирке, дабы ускорить процесс – я достал трубочку. Вот тут мурики психанули) Стали носиться кругами по арене и искать обидчика, причём на это действо было наплевать только нянькам и части «Красных», что мирно умывались внутри формика. Прошёл час… Те успокоились. Я решил накрыть ходы дипломчиком, чтобы их затемнить (хоть на что-то годны эти бумажки…), а в комнате включить свет. А тем что в лоб, что по лбу! Прошёл час. Я понял то, что «Белые» позиций сдавать не собираются – во упёртые ребята! Я, так как был за «Красных», решил использовать сверхсекретное оружие: пододвинул пробирку так, что её выход был в 1 см от входа в форм и включил фонарик на телефоне. И тут я опешил… Мне удалось разглядеть детально ВЕСЬ расплод: предо мной сияли 1 крупная личинка, 3 мелких, 4 средних, 1 большая куколка, 3 «прожаренных» куколки рабочих и ещё 5 – белых, да ещё и 2 пакета яиц вдобавку! Круто то как))) А «Белые» позлились 10 минут и затолкали Динозавра в форм, да и расплодик вслед унесли. Как только скрылась последняя личинка я выключил свет и убрал диплом – пусть новоселы привыкают к свету с его повышением утром. Кстати, раз уж смолвил про расплод - за недельку +2 рабочих =) Ну усё. А потом я спать пошёл)

Кратко расскажу итоги: переселение произошло относительно быстро. Обошлось без жертв. Королева заняла центральную часть, а не левую, как полагал. Семья успокоилась. Была насчитана ~61 рабочая душа. Были тут же восполнены 2 съеденных пакета яиц – прижилсь. Семена были оставлены в пробирке. Бывший инкубатор перенесён к стенке, теперь используется как поилка и склад. Мусор на арене подметён.

И ещё: просто пишу мини-отзыв по продукции непосредственно AntPlanet. На деле оказалась лучше, чем просто на взгляд! Мало того, что ферма симпатичная, да ещё и в столь большой форм можно запустить небольшую колонию за счёт перегородок. И в использовании удобная) Мне нравиться. Точно стоит своих денег!

Не забыл и про гигрометр:
- Влажность: 30%
- Температура: 25.2’C

В общем и целом считаю, что всё удалось) Много расплода, скоро будет ещё 1 семкогрыз :D Никто не погиб. Ну, что утаивать – я рад =)

Пора на сегодня заканчивать. Всего доброго!

Следующая запись 21.05.2016.

15.05.2016.(Форм).jpg 15.05.2016.(Форм вблизи).jpg 15.05.2016.(Арена).jpg
Аватар пользователя Malakhov Kirill

8 - 21.05.2016.

Рад снова всех приветствовать! И да: "Ура! Я в конце концов загрузил эти фото в ВК!!!" Дело в том, что мой хороший (нет) интернет решил меня радовать, начиная со вчерашнего дня (честно =) ). Этот засранец (даже больший, чем непредсказуемые мурахи) стал жуть каким медленным... По факту - сегодня воскресенье, а запись выходит за вчерашний день, т.к. фото - с субботы, блог - в субботу написан, а интернет стал что-то делать только сейчас. Вы уж простите, но так получилось =) Любит меня судьба))

Пора хвалиться расплодом: видите ту куколку, что в верхней камере слева? Видите её размеры? Будет мини-семкогрыз =) И ещё 1 такая же, только чутка поменьше лежит в куче расплода. А в ней (куче расплода) есть все стадии развития мураша до имаго =) Так что объём примерно ясен. За прошедшую неделю появилось 2 новых обладателя пары жвал, усиков и 3 пар лапок. При новой переписи населения оказалось, что мурах там вовсе не 60, а все 66, что тоже не может не радовать!) В общем: развитие идёт по параболе =)

Опять гигрометр:
- Влажность: 38%
- Температура: 25.3'C

Мурахи перешли в формик, а я получил новую обязанность: увлажнение. Что ж. Вот чего я добился: Если мои ребята тащат мак вглубь форма и/или не едят его, а так же все жмутся к камере увлажнения, то сухо. А сыро у меня ещё не было =) И обязательно минимум 1 камера увлажнения должна быть заполнена за 2 дня. Заливаю кипячёную воду из родника сомнительной чистоты. Все живы =)

Что ж, теперь расскажу о том, что теперь да как у самих муравьёв: поначалу Динозавр убрёл туда, где сидит сейчас, а на её место разложили склады мака. Тут я решил, что это роскошь и залил побольше водички, дабы заполнить зёрнышками камеру у выхода. Как видите - получилось. Затем эти засранцы стали красиво складывать мусор в левые камеры. Там гипс... Оба эти факта заставили меня волноваться, но я же мирмекипер - мне нужно уметь терпеть. И вот уже весь мусор валяется на свалке по воле мурах. Ну и я ещё арену подмёл =) Флегматичны - жуть!) Все, кроме 0-2 фуражиров сидят дома. Даже дозорный куда-то засел. Но только стоит кому-нибудь из злобных человеков сильно задеть стеллаж, так группа из 7-11 пар антенн выносится на арену, готовые порвать любого. Я реши их называть известной аббревиатурой: "СОБР" =) Ну а так, кто где расположился Вы можете видеть на фото. Буду дальше наблюдать и писать =)

Пора бы заканчивать =) Сам не ожидал, что запись здоровой получится) Всего доброго!

Следующая запись 28.05.2016.

21.05.2016(Форм).jpg 21.05.2016.(Арена).jpg
Аватар пользователя kiev-ant

9 - Какой красивый девственно

Какой красивый девственно белый формик (кроме арены). А мои засранки часть коридоров устлали семечными лушпайками

Аватар пользователя Malakhov Kirill

10 - 29.05.2016.

Всем добрый день! Ну что ж. Теперь записи будут по воскресеньям (15:00 - 20:00 по мск). Мурахи, конечно радуют... Но давайте обо всём по порядку:

И, как всегда, в первых рядах вышагивает расплод, причём гордо так у него получается! Все личинки и куколки Вам, полагаю, на фото видны. Дела идут вперёд! И это если даже не учитывать пару пакетов яиц, ну и ещё несколько интересных моментов. В чём же их суть: куколка будущей переходной формы стала темнеть, а ребята порадовали меня бо-о-ольшущей личинкой! На предстоящего к появлению (если эти засранцы не соблагоизволят его сожрать) первого семкогрыза Вы можете глянуть на третьем фото (сделано 24.05.2016.). Счастья достаточно =) Двигаюсь дальше.

Вот в таких условиях поживают мои девочки:
Влажность: 54%
Температура: 27.4'C

Далее, как всегда, идут организационные моменты: Стал увлажнять по 1.5 мл в день. Дал питомцам комара. Обычного, который всех достал =) И дал с кровью, мол сказали, что так даже лучше. Поймал, намочил, крылья долой, пустил на арену. Была паника и мини-зрелище, даже Динозавр чуть не вышел. Разделались быстро, тащили долго, я даже "Лебедь, Рак и Щука" вспомнить поспел =) Занесли всё в дом... Уплели только в путь!) Хотел бы спросить частоту кормёжки. Пока лето - буду давать комариков, не жалко =) Как только "старый" закончится - "нового" ловить? (кто не знает, прошу не писать). Будем учить их комаров в два счёта уматывать, развивать бойцовские качества...

Теперь о самих мурахах: стали активно фуражировать, Дозорный порой посиживает на гигрометре, няньки занимаются тем, чем и должны, ну и царица тоже. Тусят потихоньку... Могут и вообще ни на что не реагировать, а порой капризные такие... Главное, что все живы, целы, орлы!)

Больше и сказать нечего) Всего Вам доброго. Ждите от меня новостей в следующее воскресенье!

Следующая запись 05.06.2016.

29.05.2016.(Форм).jpg 29.05.2016.(Арена).jpg 24.05.2016.(Личинка).jpg
Аватар пользователя Malakhov Kirill

11 - 05.06.2016.

Всем снова доброго времени суток, дорогие читатели! Написать есть про что, ведь обитатели формика так и стараются что-нибудь интересное сделать, дабы блог в объёме увеличить! Эх!... А вот и события уходящей недели:

Эта неделя - прям посвящена расплоду! Но пред тем, как посвятить Вас в свою радость, я, пожалуй напишу очередное нововведение: теперь мною будут разделяться 4 касты моих муравьёв (не считая царицу), а именно: рабочие, крупные рабочие, семкогрызы (мне нравится именно так называть солдат =) ) и мельники = крупные семкогрызы =) Так мне и Вам будет проще: с моей стороны – писать, а с Вашей – понимать. Итак, вот и подходим к самим успехам колонии: за неделю, повторяю, всего за неделю, родилось 6 муравьёв!!! Во-первых, это «новый рекорд». Во-вторых, это неожиданно и приятно =) Среди них: 5 рабочих и 1 крупный - тот, чью куколку я называл «куколкой переходной формы». Однако новичок будет поменьше самого крупного рабочего, что родился ещё в пробирке, хотя я ожидал обратное. Но этот маленький пустяк семью печатями стирают с лица земли все приятные моменты! Мало того, что у нас такое пополнение, так ещё и ту большущую личинку не заточили!.. И не смогут =) Ведь она уже куколка! Причём такая большая! Голова у будущего семкогрыза будет почти с голову мамы-Динозавра!) А виновницу моего счастья хорошо видно на фото с ходами! Кроме всего того у семьи есть ещё целая куча расплода! Дела хороши как никогда! Ну а я двигаюсь дальше:

А вот и условия на арене:
Влажность: 41%
Температура: 26.2’C

Я, смотря другие блоги по жнецам, наткнулся на факт того, что склады моих подопечных относительно пусты. Вот и сыпанул я им различных семян. Фото, где подъехала фура с продовольствием, смотрите ниже. К утру 01.06. всё было в камерах. Чем больше семена – тем больше к ним сейчас внимания. Только крупные и едят =) Дал ещё одного комара, только переборщил с водичкой, и «живой корм» еле-еле соответствовал своему названию. Его спокойно затащили внутрь. И пропал комар! Вот только больше я их не видел. Или потому, что живу на высоком этаже, или потому, что кто-то им рассказал, что серийный маньяк-убийца отлавливает их сородичей и скармливаем своим монстрам (но мурахи же не такие, сами понимаете =) ).

Что же делают мои питомцы? Да фуражировать стали чаще и активней, с камерами более-менее разобрались. Самая левая – там просто мураши сидят. Центральная верхняя – слева кухня, справа покои Динозавра и, порою, второстепенные ясли. Главные ясли – там где Вы их видите на фото. Склад – нижняя камера и верхняя камера. Остальное пространство – ходы/место отдыха рабочих, порою разделка семян. Вот так и живём.

Запись, как и неделя, подходит к концу. Всем до встречи в следующее воскресенье! Всего доброго!

Следующая запись 12.06.2016.

05.06.2016.(Форм).jpg 05.06.2016.(Арена).jpg 31.05.2016.(Дал семечек).jpg
Аватар пользователя Malakhov Kirill

12 - 12.06.2016.

И снова всем добрый день, господа и дамы! В воскресенье, увы, написать не смог, что, вероятно, Вас, как и меня, огорчило. В своё оправдание сказать могу лишь то, что произошло сие маленькое горе не по моей вине, а потому, что было пару несогласованных со мною действий со стороны родителей (надеюсь, что поймёте). Но запись выходит "за вчера", поэтому и дата соответствующая. Что ж, заболтался я, пора приступать к мурахам:

Успехи в сфере "Расплод" у моих ребят каждый раз бьют рекорд! Не исключение и сегодняшний день! В яслях расположились: пакет яиц, внимание, размером с рабочего (!), что является просто неимоверной радостью; множество куколок и личинок будущих рабочих; одна личинка - того, что будет покрупнее; а куколка семкогрыза начинает потихоньку темнеть, что предвещает то, что в следующее воскресенье я уже буду хвастаться пред Вами тем маленьким (или большим) счастьем! И всё это находиться под началом сверхбдительных рабочих-нянек. И да, родилось 4 мураша =) Все 3 обычных рабочих, а четвёртый будет немного покрупнее. Так же умер 1 рабочий =( Но думаю, что это маленькое горе сводиться на "0" успехами колонии (которые, согласитесь, очень даже неплохи!) =)

Гигрометр сегодня рассказывает о следующем:
Влажность: 39%
Температура: 23.7'C

Ничего нового я пока что не сделал, но о самих мурахах есть, что рассказать: Предназначения камер подтвердились Уже пару дней сидят внутри формика - мол, холодно стало. Предпочтение по прежнему отдают самым крупным (светлым) семенам, не помню их названия, но то, что их полюбили - факт. Давал ещё разок комарика (не в квартире поймал, а на улице, вот и питомцам принёс. Хозяин - добытчик =) ). Только бедняга оказался на арене, так к нему прибежал крупный рабочий, отвинтил за пару секунд голову и потащил в форм (ему, кстати, мешали более мелкие, видимо помочь хотели). Динозавр потихоньку посиживает в своих покоях, где её немногочисленная свита кормит, поит, роды принимает. Если паника, то она первая несётся в главные ясли - расплод охранять! Какая хорошая мамаша!) Рабочие - всё по-старому... И уж если кто-то набедокурит и устроит муравьишкам панику - так те оживятся на минутку - и стихнут... Вот такие флегматики =)

Ну, пожалуй, вот и конец сегодняшней записи. Будем ждать чего-то нового (и, чур, хорошего) от моих ребят =) Сделают это они или нет - узнаем в следующее воскресенье. А пока что скажу Вам: "Всего доброго!" ...

Следующая запись 19.06.2016.

12.06.2016.(Форм).jpg 12.06.2016.(Арена).jpg
Аватар пользователя Malakhov Kirill

13 - 19.06.2016.

Доброго времени суток, дорогие читатели! У меня, негодяя, та же ситуация, что и на предыдущей неделе. Снова приношу свои глубочайшие извинения! Дабы решить эту проблему буду делать следующее: если заранее знаю, что эта неприятность произойдёт - выкладываю запись на день раньше. Надеюсь, что Вас это устроит. И да, нас уже 25! (речь идёт о том же блоге, только в ВК: https://vk.com/kirill.malakhov_messor.structor) Спасибо за то, что читаете! ;-)

И, как всегда, меня питомцы радуют расплодом. Прогнозы той недели подтвердились... Но обо всём по порядку =) К записи приложена третье фото. Там видна моя радость =) Мало того, что появился небольшой семкогрызик (!) и пара рабочих, так ещё и расплод воодушевляет!: множество куколок, одна из который довольно крупная, громадный пакет яиц (с приличную куколку) и несколько личинок! Всё это счастье на 1 фото не влезло, но зато посмотрите на новорождённого солдатика, который скоро уже станет чёрным, как и все мои мурахи )

Тоже, как и мураши, чёрный гигрометр показывает следующее:
Влажность: 43%
Температура: 24.9'C

На этой неделе был у мурашек пир-горой! Ведь за ночь я прихлопнул 11 комаров! Давал не всех, а только тех, кто был цел, как живой, только не двигался. Те, что превратились в бесформенный кусочек биомассы в расход не пошли. Три ед. корма тут же оказались на арене, позже были утащены сильными рабочими. На следующий день ещё четверо пошли на корм потомству и Динозавру. Что примечательно: я отстригаю крылья комарам, дабы избежать лишнего мусора. По мне: удобно. На этом Праздник Муравьиного Брюшка (аналог Праздника Живота =) ) был окончен. Ничего нового более не произошло.

Потихонечку умирают первые рабочие. Однако на их место встают новые! И это радует! Всё население формикария бодро и сильно. Арена патрулируется, склады семян медленно тают, появляются новые и новые пары антенн, все выполняют свою роль. И выполняют хорошо! Чем дальше - тем лучше! Видимо к концу сентября будет открыта первая перегородка!.. Но это уже совсем другая история... =)

Итак, вот и подходит сегодняшняя запись к концу. Мурашки развиваются, а я пытаюсь сделать так, чтобы мой блог от них не отставал! Надеюсь, что Вам приятно читать, надеюсь, что другие мирмекиперы могут найти какую-то интересную идею, решение проблемы, или просто пронаблюдать за моей колонией =) Всего доброго! Ждите скорых вестей!

Следующая запись 26.06.2016.

19.06.2016.(Форм).jpg 19.06.2016.(Арена).jpg 19.06.2016.(Расплод и семкогрыз).jpg
Аватар пользователя Malakhov Kirill

14 - 26.06.2016.

И снова я рад Вас всех приветствовать, дорогие читатели! Настроение, благо, хорошее!) И запись вовремя подоспела)

Тут (сами, знаете, где) у нас всё по старому =) Как всегда норма выполнена, +2 рабочих есть =) Яиц, личинок и куколок - относительно немало, видно, что к концу сентября готовятся =) А что тут ещё говорить? Как всегда - мурахи молодцы)

Наш электронный друг вещает о следующем:
Влажность: 50%
Температура: 26.3'C

Всё идёт по-старому... Комаров, несмотря на то, что окна открыты день и ночь, - нет! Я даже, наверняка, знаю причину: В гости к нам стал заглядывать дожди. Да ещё и злоупотребляют нашим гостеприимством. Вот мошкара и попряталась... Зато сейчас они ушли =) Мураши будут ждать добавки)

Тихонько сидят у себя, семечки грызут. Если что-то хлопнет/стукнет/упадёт - Динозавр галопом несётся к расплоду, проверяет "Всё и хорошо?", удостоверившись в целости будущего поколения - идёт поближе к выходу, мол, мало ли что, а деток надо защищать... Вот хорошая то =) Быстро успокаиваются - аж жуть! И вправду - флегматики )) Ну... Что ещё написать?.. Не знаю... Ползают, тусят =)

Запись получилась небольшой, но это не я виноват, что так мало написал - а мураши ничего сногсшибательного не выкинули =) Какая бы короткая была сегодняшняя история, а она подходит к концу. Что ж, как всегда - всего Вам доброго! До следующего воскресенья! ;-)

Следующая запись 03.07.2016.

26.06.2016.(Форм).jpg 26.06.2016.(Арена).jpg
Аватар пользователя Malakhov Kirill

15 - 18.07.2016.

*Бьют фанфары* - я вернулся!) Что ж, всем добрый день! Приношу тысячи извинений за задержку! Спешил, как мог, и вот - я у аппарата. В кои то веки сесть за комп =) Но блог не о моей весёлой жизни, а о мурашах, поэтому приступаю:

Итак... Люди, которые сначала смотрят на фото уже (возможно) ахнули от количества того, чему посвящён этот абзац =) Да, расплода воистину огромная гора! Я этому вдвойне рад, ибо сам являюсь причиной столь великолепного известия!) Но об этом попозже. Увы, я заметил, что отмирает первое поколение, значит склад трупиков (а я полагаю, что он за гигрометром, т.к. туда их таскают) пополняется. Однако в общем зачёте колония, нет-нет, а прибавила в своём составе пару голов. Признаться честно, этот факт сносит горе от потерь на "0". В общем, я могу ждать грандиозного пополнения в рабочей силе через месяц с небольшим... Но это, как говорится, другая история...

Показания гигрометра:
Влажность: 48%
Температура: 25.6'C

На сей раз нововведения есть. Все уже заметили (т.к. глянули на фотках расплод) нечто новое. Этого "нечта" много: 3 кувшинчика на арене и гора семян в формике. Начну с еды: Засыпал давно - в конце июня. Было несколько причин: 1) Мураши могут мне "показывать", что слишком влажно, вынося их на арену. 2) Я уезжал и решил сыпануть корма от души, т.к. их любимые крупные семена заканчивались. И вот, оказалось, что избыток-достаток семян положительно влияет на расплод. Отсюда мой Вам совет - если держите жнецов - не жалейте семян!!! Что ж, теперь о декоре. Он у меня был прибережён на париусов, однако решил, что и этой колонии нечто новое на арене не помешает. Пока клал эту красоту на арену - устроил дискотеку внутри - побегали знатно. А вот исследовали кувшинчики с любопытством, спокойно и без опаски. Теперь хоть камере есть на что фокусироваться, да и глаз радует! Кстати, есть лишний пакетик песка, но сыпать не буду - жнецы мои - грязнули - и песок замарают, и формик. Но есть ещё 1 новость... Та, что не заметна на фото... Я научил родителей увлажнять! Теперь, если меня не будет - мураши останутся живы, а мне не придётся их кантовать и увозить с собой. Так что в этом плане всё весело и круто! Идём дальше!)

Замечаю, что становятся всё флегматичней. Если пугаются, то приводят себя в порядок за минуту, если не меньше, что не может не радовать. Так же эти господа не перестают меня удивлять: как со всей силы отбивают мясо на кухне - тишь да гладь... А как я, стоя в другом конце комнаты стукнул по жестяной банке, которую держал в руке, другой рукой, так, пожалуй, устроим веселуху... Но сейчас ползают тихонько, радуют глаз. Фуражиров стало больше, однако те бродят с низкой скоростью... А в целом - всё по-старому =)

Ну, надеюсь, что такой объём Вас устроит, а я возвращаюсь к Вам, только теперь (пока у меня летние каникулы) мои записи будут по понедельникам, ибо... Постоянный читатель поймёт =) А уже первое воскресенье сентября будет продолжением традиции записей с итогами недели! Что ж, до встречи в следующей записи! Если есть вопросы/пожелания/советы - буду всегда рад! Всего доброго!

Следующая запись 25.07.2016.

18.07.2016.(Форм).jpg 18.07.2016.(Арена).jpg
Аватар пользователя Malakhov Kirill

16 - 25.07.2016.

Всем доброго дня! Я и моя камера, снимающая в "Full HD", приветствуем Вас в очередной записи! Что ж, теперь Вы читаете мой блог в начале недели, а не в конце. Надеюсь, что это не вызывает неудобств =) А мы тем временем переходим к делу:

Что ж, родилось СЕМЕРО рабочих, а горы расплода не гаснут, а только растут! Безусловно радует, как и всегда. Самое милое - то, что светленькие рабочие выполняют роль нянек, держа в мандибулах личинки. Почему милое? Да потому, что они сами на их месте совсем недавно были =) А колония крепчает... Идём дальше.

Гигрометр вещает:
Влажность: 55%
Температура: 26.8'C

Нововведений за неделю никаких не происходило... Не каждый день же что-то новенькое делать. Пусть сами что-нибудь натворят =)

Кстати, о "натворят", перехожу к тому, чем непосредственно заняты сами шестилапые подруги. Если королева изволит напугаться (или по некой другой причине) и выйти из своих покоев (камера, где её застала моя камера :D ), то её дружно толпой толкают обратно, мол "Куда пошла? Сейчас сами сходим - поглядим!", той покорно приходиться отступать и продолжать сидеть в своём скромном уголку... Где кухня - непонятно (по-моему она везде), ведь семкогрызы выполняют свою работу и там и сям!). Ясли в трёх местах: Самая левая камера, Покои Царицы и там, где лежала гора расплода на предыдущей записи. Склад - камеры у входа, правый нижний угол арены. Кстати, что примечательно, кучу зерна вне формика охраняет 4-7 мурашей, при этом 2-3 из них - солдаты. За лазаньем в кувшины замечены не были. На самую высокую точку - вершину посредине арены забирался дозорный (а может это просто мураш, который не мог слезть :D ). Фуражиров много, те медлительно ходят, зная о том, что опасности нет. Забавно смотреть, как они приподнимают голову и ощупывают воздух усиками =) Вот такие дела...

Что ж, всё рано или поздно кончается. Эта запись - не исключение. До встречи на следующей неделе! Спасибо, что читаете! Пожалуй закончу стишком =)

В ферме мураши живут.
Я жнецов своих люблю!
Не пугайте их мне тут!
Убью...

Следующая запись 01.08.2016.

25.07.2016.(Форм).jpg 25.07.2016.(Арена).jpg