Camponotus substitutus

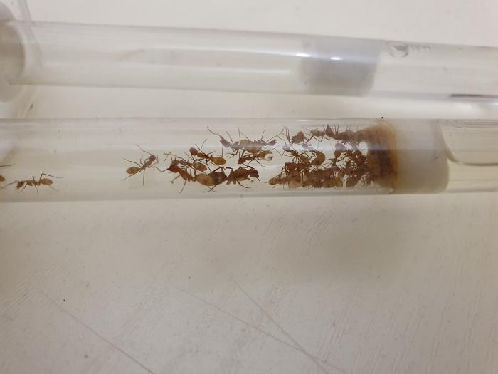
Сегодня хочу вам рассказать про своих Camponotus substitutus . Пришли они мне в начале апреля 2019 года в составе двух маток и шести рабочих. Пришли они ,кстати, от моего хорошего друга Сергея. Одну матку отдал другу, одну оставил себе. К сожалению колония друга была отправлена в Москву и в дальнейшем умерла,но сегодня не о ней. На данный момент я имею колонию с составом 1/30. Развиваются они довольно медленно но стабильно. Диапауза,как я понял,присутствует. Сейчас колония практически не развивается и из расплода только один кокон,личинка и небольшой пакет яиц. Надеюсь что в ближайшее время колония выйдет из такого состояния и продолжит развиваться.

Изображения: