Messor Structor "усиленная" колония в хорошие руки )))

Фото
Тип объявления:
отдам
Регион
Условия
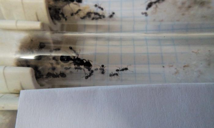
Отдам 2 колонии Жнецов - результат небольшого эксперимента: матке подсажены были куколки и личинки из другой колонии - результат на фото. Прижились без проблем и конфликтов. Может кому-то пойдет на пользу. Могу отправить по Украине когда пройдет жара.

Комментарии

Аватар пользователя Маламут

1 - Колонии пристроены.

Колонии пристроены.