Tagry:
Не знаю, что это их так колбасит. Залезают на ватку-затычку на крышке, выдергивают нить и на ней висят-раскачиваются. Издалека выглядят как повешенные;) Муравейка:
Фотографии матки нет -- она сидит в трубке, которая непрозрачная. От солдат (или это еще только крупные рабочие?) отличается только большими размерами головы и брюшка.
Сделать я сделаю, подобную гимнастику вижу довольно часто, а вот насчет выложить... Сырой материал выкладывать не хочу, а на обработку нужно время, которого у меня практически нет.
Nestabil
Неужели вы код страница каждый раз просматриваете? Или в таком режиме удобнее форум читать? Оо
Всё гораздо проще. Всего одна клавиша мышки - и я вижу код только комментария. Дополнение называется Firebug. У меня уже просто нюх на подобные комментарии выработался, да и определяется это легко, не так уж и много тут постоянных пользователей. Такие вопросы предлагаю задавать в личку, не то автор блога обидится
Даже в IE есть, даже в старом. А если в каком-либо браузере и нету такой функции, то просто сохраняете страницу и открываете её блокнотом. Вот он, HTML-код
За последнее время семья сильно
выросла -- в ней уже около 70-80
рабочих . Буду заморачиваться с жильем
для них. На мусорке появилось несколько
трупов -- возможно потому что не кормил
их сиропом дней пять.
Сегодня поставил почти всем своим семьям обогрев. Кампонотусы обрадовались -- температура под 30 градусов! Намереваюсь так держать (с дневным обогревом) около 3 месяцев. Затем -- отключение на месяц-полтора обогрева вообще и симуляция "сезона дождей".
По просьбе Муравейки выкладываю фотографию их королевы. Застал ее в тот момент, когда она выползла на коряжку. Сфотографировать очень тяжело -- ее постоянно окружают рабочие особи. Почти всю пробирку отдали под расплод, куколок сейчас штук 10, очень много яиц и личинок разного возраста. Сверчка съедают за пару дней, оставляя пустой хитин.
Ну и, развивая тему кампа... Мне пока нечего вам рассказать, но есть что показать. Надеюсь все сложится.
Да, интересный муравей. Самка активная в темноте, на свету впадает в ступор. Она уже делает гнездо...
А вообще -- тсс! *прикладываю палец к губам* Больше ни слова. До конца декабря -- молчок. Может тогда и будет блог, и, надеюсь, выведется первое поколение.
Хорошо. Едят, размножаются. Сверчка съедают за сутки, выедая полностью внутренности. Предлагал пыльцу -- поели, но без особого энтузиазма. Кое-кто мне обещал формикарий для них, но у него просто руки не доходят (занятость в преддновогоднее время перерастает в аврал). Пока живут в чем мать родила приехали.
Сегодня было очередное "кушать подано, идите жрать", но на этот раз я ограничил кампонотусов в белке -- только кусачая голова сверчка и переднегрудь. До голодомора дело не довожу, сиропом обеспечиваю по полной программе, но расплода у них по-прежнему ОЧЕНЬ много. В пробирке живет от силы штук двадцать рабочих плюс матка, остальные ютятся на арене. Даже расплод частично лежит на коряжке, там же и штук пятнадцать нянек. Кормить и убирать очень тяжело, не дают даже вытащить ватку-затычку из отверстия в крышке (отверстий две штуки, их сторожат), но я нашел способ: перед кормлением/уборкой мусора сильно стучу по крышке. Теперь они понимают, что надо отойти от отверстий, довольно быстро (хватает легких постукиваний по крышке), и я могу спокойно налить сироп или положить сверчка.
Кстати, роль туалета у них выполняет углубление в дереве (можете увидеть его на первых фотографиях). Пробирка чистая, не засраная, в отличие от мессоров (на аренариусов не грешу, а вот барбарусы свинки еще те, да и структоры с капитатусами были не лучше).
Да, когда они поедят, то можно посветить на их брюшко, оно светится)
Насчет фотографий: если на нее навести мышку, то высветится комментарий. На фото пыльца.
ant-S.T.A.L.K.E.R
Насчет фотографий: если на нее навести мышку, то высветится комментарий
Я только вчера заметил что ты таким образом подписываешь фотки, имхо - неудобно. Мне удобнее читать и подписывать коментарии после фотографии, обычным текстом.
Мне стыдно, но я так и не научился подписывать комментарии под фотографиями. Вернее, не нашел инструкцию каким макаром так подписывать (а еще вернее -- плохо искал). Если поведаешь, как это сделать, буду несоизмеримо тебе благодарен.
P.S. Зачем пометил сообщение оффтопом? Это же не глупость какая-то написана, а важное замечание.
Комментарии
1 - последние фотографии
последние фотографии заинтриговали. что это, они альпинизмом увлекаются?
2 - И можно фото мамаши?
И можно фото мамаши?
3 - Tagry: Не знаю, что это их
Tagry:
Не знаю, что это их так колбасит. Залезают на ватку-затычку на крышке, выдергивают нить и на ней висят-раскачиваются. Издалека выглядят как повешенные;)
Муравейка:
Фотографии матки нет -- она сидит в трубке, которая непрозрачная. От солдат (или это еще только крупные рабочие?) отличается только большими размерами головы и брюшка.
4 - Последние две фотки словно
Последние две фотки словно "муравьиный спецназ".)
5 - Миссия невыполнима)
6 - Сделай видео их качелей)
Сделай видео их качелей) Интересно посмотреть)
7 - Сделать я сделаю, подобную
Сделать я сделаю, подобную гимнастику вижу довольно часто, а вот насчет выложить... Сырой материал выкладывать не хочу, а на обработку нужно время, которого у меня практически нет.
8 - Время!
Алексей! youtube само обрабатывает, там время не нужно!
Интересно посмотреть!
9 - Я имел в виду обрезку
Я имел в виду обрезку ненужных моментов, наложение саундтрека и тому подобную мишуру.
10 - Отличные фотографии ;)
Отличные фотографии ;) Надеюсь на активный блог. Удачи
11 - Nestabil Неужели вы код
12 - Да я не против, чтобы тут
Да я не против, чтобы тут обсуждались и прочие вопросы. Кстати, кто юзает Google Chrome, тот тоже может просматривать HTML-код страницы.
13 - Леш, сейчас на всех новых
Леш, сейчас на всех новых браузерах есть такая функция:)
14 - Даже в IE есть, даже в
Даже в IE есть, даже в старом. А если в каком-либо браузере и нету такой функции, то просто сохраняете страницу и открываете её блокнотом. Вот он, HTML-код
15 - За последнее время семья
За последнее время семья сильно
выросла -- в ней уже около 70-80
рабочих . Буду заморачиваться с жильем
для них. На мусорке появилось несколько
трупов -- возможно потому что не кормил
их сиропом дней пять.
16 - обогрев
Сегодня поставил почти всем своим семьям обогрев. Кампонотусы обрадовались -- температура под 30 градусов! Намереваюсь так держать (с дневным обогревом) около 3 месяцев. Затем -- отключение на месяц-полтора обогрева вообще и симуляция "сезона дождей".
17 - фото царицы
По просьбе Муравейки выкладываю фотографию их королевы. Застал ее в тот момент, когда она выползла на коряжку. Сфотографировать очень тяжело -- ее постоянно окружают рабочие особи. Почти всю пробирку отдали под расплод, куколок сейчас штук 10, очень много яиц и личинок разного возраста. Сверчка съедают за пару дней, оставляя пустой хитин.
Ну и, развивая тему кампа... Мне пока нечего вам рассказать, но есть что показать. Надеюсь все сложится.
18 - Поздравляю с макулатусом.
Поздравляю с макулатусом. Очень интересный и красивый муравей муравей.
19 - не полюбить кампов?
Смотрите и скажите: ну как не полюбить этих кампов? Стучу по дереву-даст бог скоро и у меня будут!
20 - макулатус прикольный камп- и
макулатус прикольный камп- и пятнистостью окраски и сильным различием между солдатом и рабочим. и размером.
21 - макулатус
Да, интересный муравей. Самка активная в темноте, на свету впадает в ступор. Она уже делает гнездо...
А вообще -- тсс! *прикладываю палец к губам* Больше ни слова. До конца декабря -- молчок. Может тогда и будет блог, и, надеюсь, выведется первое поколение.
22 - Ну что там Леш? как дела у
Ну что там Леш? как дела у кампов?
23 - Хорошо. Едят, размножаются.
Хорошо. Едят, размножаются. Сверчка съедают за сутки, выедая полностью внутренности. Предлагал пыльцу -- поели, но без особого энтузиазма. Кое-кто мне обещал формикарий для них, но у него просто руки не доходят (занятость в преддновогоднее время перерастает в аврал). Пока живут в чем
мать родилаприехали.24 - кормление
Сегодня было очередное "кушать подано, идите жрать", но на этот раз я ограничил кампонотусов в белке -- только кусачая голова сверчка и переднегрудь. До голодомора дело не довожу, сиропом обеспечиваю по полной программе, но расплода у них по-прежнему ОЧЕНЬ много. В пробирке живет от силы штук двадцать рабочих плюс матка, остальные ютятся на арене. Даже расплод частично лежит на коряжке, там же и штук пятнадцать нянек. Кормить и убирать очень тяжело, не дают даже вытащить ватку-затычку из отверстия в крышке (отверстий две штуки, их сторожат), но я нашел способ: перед кормлением/уборкой мусора сильно стучу по крышке. Теперь они понимают, что надо отойти от отверстий, довольно быстро (хватает легких постукиваний по крышке), и я могу спокойно налить сироп или положить сверчка.
Кстати, роль туалета у них выполняет углубление в дереве (можете увидеть его на первых фотографиях). Пробирка чистая, не засраная, в отличие от мессоров (на аренариусов не грешу, а вот барбарусы свинки еще те, да и структоры с капитатусами были не лучше).
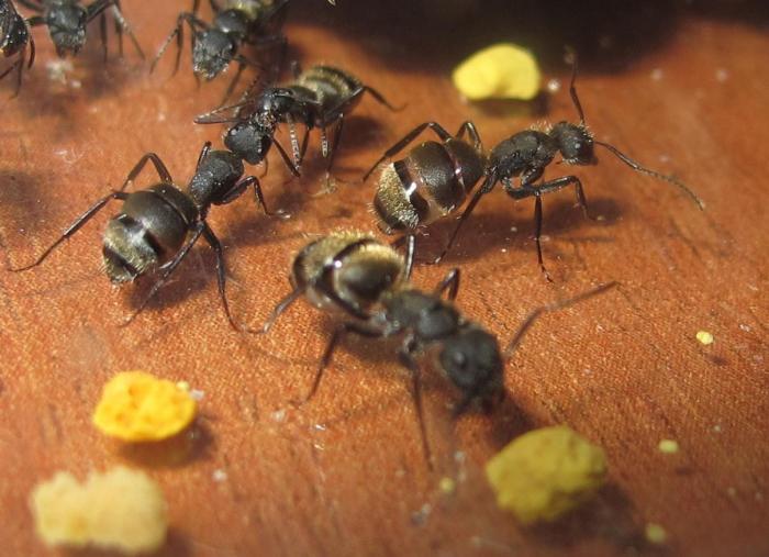
25 - фотографии
Немного фотографий:
26 - Они разъевшиеся, ещё
Они разъевшиеся, ещё интереснее смотрятся:) А на первом фото что за шарики? Пыльца? Желток?
27 - кампонотусы
Да, когда они поедят, то можно посветить на их брюшко, оно светится)
Насчет фотографий: если на нее навести мышку, то высветится комментарий. На фото пыльца.
28 - ant-S.T.A.L.K.E.RНасчет
Насчет фотографий: если на нее навести мышку, то высветится комментарий
Я только вчера заметил что ты таким образом подписываешь фотки, имхо - неудобно. Мне удобнее читать и подписывать коментарии после фотографии, обычным текстом.
29 - стыдно
Мне стыдно, но я так и не научился подписывать комментарии под фотографиями. Вернее, не нашел инструкцию каким макаром так подписывать (а еще вернее -- плохо искал). Если поведаешь, как это сделать, буду несоизмеримо тебе благодарен.
P.S. Зачем пометил сообщение оффтопом? Это же не глупость какая-то написана, а важное замечание.
30 - Хотелось бы больше фото.
Хотелось бы больше фото. Когда они уже будут жить в формике?