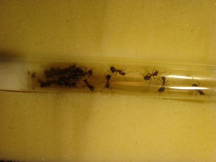
Всем доброго времени суток. Вот теперь кое что почитав и присмотревшись к своим муравьям понял что у меня Serviformica rufibarbis так как у рабочих муравьев имеются красные щечки и их прошлое гнездование похоже (нашел под камнем). Вчера и сегодня почитав блоги бывалых узнал что двух самок держать нежелательно но можно, что мне делать в моем случае? Самки взяты из одного небольшого муравейника под камнем. Сегодня пошел посмотреть как поживают их собратья в лесу, оказалось там еще есть самка, так что до вымирания семьи я думаю не дойдет))) Там свежие личинки очень маленькие появились. Взял еще несколько рабочих так как подумал их рассадить (своих самок). Личинок у меня уже в пробирке целая куча. Живут они все мирно. Что интересно когда принес все были в одной куче, а сегодня, в то время как пишу уже выделились 3 (так сказать) охранника, которые стоят друг за другом от входа в пробирку на разном расстоянии. Который стоит первым у входа оказался самый шустрый, к тому же у него нет половины одного усика. Вот я хочу все же задать вопрос по поводу их кормежки еще, как часто их нужно кормить? Стоит ли подсоединять арену, так как всего в пробирке 20 муравьев с 2-мя самками? Да и еще их обязательно в темноте держать? На эти вопросы конкретных ответов не нашел к сожалению, может они и есть, но не ругайте пожалуйста. Вот сейчас и фото прилагается )))
1 - Врятли это руфы.Скорее всего
Врятли это руфы.Скорее всего какая-нибудь сервиформика.
За сервиформиками ухаживать как за всеми обычными муравьями, почитайте, ничего особенного.)
2 - Формика руфа под камнем? Без
Формика руфа под камнем? Без купола?

Может, они (руфы эти) вот такие?
3 - Да, вот такие как на
Да, вот такие как на картинке...
4 - Тогда это сервиформика.
Тогда это сервиформика.
5 - А если всё-таки нашли под
А если всё-таки нашли под камнем муравейник и решили "взять немного муравьёв к себе", то одну из самок нужно было отпустить. А так, вообще без самок колония погибнет.
Кормить нужно насекомыми и сиропом или мёдом.
6 - Надоело читать такие посты,
Надоело читать такие посты, есть FAQ и поиск! Тем более нет фотографий, что же мы можем приказывать.
удачи.
7 - Nikitro Надоело читать такие
Я же вроде предупредил, что фото вечером будут.
8 - "Что прикажете теперь делать?
"Что прикажете теперь делать? как кормить?" - все написано на сайте.Все найти, можно, за 10 минут, так даже для вас удобней будет, не нужно ждать ответа от других.
9 - при чем не доброжелательно
при чем не доброжелательно настроенного)
10 - Всем доброго времени суток.
Всем доброго времени суток. Перед всеми сразу извинюсь за предыдущие вопросы и сообщения, писал по незнанке. Вот теперь кое что почитав и присмотревшись к своим муравьям понял что у меня Serviformica rufibarbis так как у рабочих муравьев имеются красные щечки и их прошлое гнездование похоже (нашел под камнем). Вчера и сегодня почитав блоги бывалых узнал что двух самок держать нежелательно но можно, что мне делать в моем случае? Самки взяты из одного небольшого муравейника под камнем. Сегодня пошел посмотреть как поживают их собратья в лесу, оказалось там еще есть самка, так что до вымирания семьи я думаю не дойдет))) Там свежие личинки очень маленькие появились. Взял еще несколько рабочих так как подумал их рассадить (своих самок). Личинок у меня уже в пробирке целая куча. Живут они все мирно. Что интересно когда принес все были в одной куче, а сегодня, в то время как пишу уже выделились 3 (так сказать) охранника, которые стоят друг за другом от входа в пробирку на разном расстоянии. Который стоит первым у входа оказался самый шустрый, к тому же у него нет половины одного усика. Вот я хочу все же задать вопрос по поводу их кормежки еще, как часто их нужно кормить? Стоит ли подсоединять арену, так как всего в пробирке 20 муравьев с 2-мя самками? Да и еще их обязательно в темноте держать? На эти вопросы конкретных ответов не нашел к сожалению, может они и есть, но не ругайте пожалуйста. Фото пытался сделать на свой 7 мпикс сони, но качество не очень, но все же выложу как интернет нормально заработает.
11 - Abigor Фото пытался сделать
размер матрицы(7 мпикс) не важен, важно чтобы фотик смог сфокусироваться на объекте.
12 - я так понял данная тема ни
я так понял данная тема ни кому не интересна?(((
13 - Don't worry be happy! Читай,
Don't worry be happy!
Читай, изучай, наблюдай, ищи и находи, спрашивай - именно в такой последовательности ;)
Конкретно по вопросу - пиши дальше (учитывая критику).
14 - тебе дают полезные
тебе дают полезные советы,
если не спрашиваешь - то молчим,
делишься своим мнением? мы тоже делимся, и т.д. мы поддерживаем разговор.
15 - Abigor Вот теперь кое что
Глупость! Вы без 10 кратного увеличительного стекла их не отличите от куникулярии или песчанок. Надо ещё знать, куда смотреть. У половины сервиков "щеки" красные. Снимите самок крупнее. Что-то на формик они похожи. Возможно -- поликтены. Слишком брюшки блестят.
Сначала определитесь точно с подродом. Там уже решайте, рассаживать или нет. Можно и так и так. Если сервики -- вероятность большая, что потом одна останется.
Если не врёте. Просто сомнительно столько самок в одном маленьком гнезде под камнем. И в такой доступности.
Это за какой период куча личинок появилась?
Раз в день несколько капель сиропа. Раз есть личинки -- раз в два - три дня по небольшому насекомому. Размером с муху. Или кусочек более крупного. Примерно так.
Да. Стоит. Так удобнее.
Желательно. Не обязательно. На солнечном свете не держать!
16 - сомневаюсь что семья была
сомневаюсь что семья была маленькой и образованной группой самок. Я бы оставил как есть. Если это сервиформика, то не значит что они обязательно моногинны..
17 - так вот теперь отвечу на ваши
так вот теперь отвечу на ваши вопросы. мурашей я завел в этот понедельник, яиц там уже приличная куча.завтра постараюсь сделать фото через лупу. вот еще такая проблема появилась - в пробирке образовался конденсат возле ватки и вроде как там уже 4 яйца пропали. я вот сегодня их на солнце поставил днем может поэтому? стоит их переселить или нет? про камень скажу что он не маленький, и самки в разных местах были не в одном но под камнем.
18 - Не ставьте больше на
Не ставьте больше на солнце!
Цитата с антклуба.ру
"
Lasius niger » Солнце и тепло
Пользователь прекратил вести эту колонию.
С приходом тепла и появением солнца решил погреть мурашей....
положил на подоконник.....и это было моей ошибкой...через полчаса они сварились(бедняги мои)
Самое важное событие: конец
Изменения в составе кoлонии: -расплод, -куколки, -рабочие, -матки "
19 - По собственному опыту
По собственному опыту подтверждаю. на солнце ставить не надо. помрут как мухи
20 - да,я значит еще легко
да,я значит еще легко отделался четырьмя личинками.спасибо за совет.
21 - Что то тут всё так мутно.
Что то тут всё так мутно. Муравейник под этим немаленьким камнем был один или всё-таки самки гнездились независимо друг от друга?
22 - Abigor мурашей я завел в
А где личинки, которых была куча в пробирке?
Буквально за два сообщения до этого я написал: "На солнечном свете не держать!"
Вы хоть читайте, что Вам пишут!
23 - Тимк я прочитал то что ты
Тимк я прочитал то что ты писал, но уже было поздно
24 - mijgan Что то тут всё так
честно,я не особо пока разбираюсь в строении муравейников пока только изучаю.камень был один но самки под ним были в разных местах сантиметров в 5-7 друг от друга.