Приветствую всех :)
Буквально несколько дней назад ни что меня не беспокоило, все было хорошо, размеренно и обыденно. Пока на одном из популярных развлекательных ресурсов я не наткнулся на пост посвященный созданию формикария с последующим его заселением…
Это было нечто! В первый же вечер изучил все что смог быстро найти про муравьев, про их содержание в неволе… Все очень интересно ! :)
На следующий день меня не оставляла навязчивая идея купить таки королеву :) Что я сегодня благополучно и сделал. Точнее благополучно оплатил :) теперь даже и не знаю как дождаться посылки…
На этом вступление заканчиваю, буду стараться все этапы документировать, фотографировать и делиться со всеми в этом блоге :) Очень рассчитываю на помощь и советы с Вашей стороны, уважаемые мурашководы :)
Комментарии
1 - А где покупал? и почему
А где покупал? и почему именно мессор структор?
2 - Поздравляю
С началом) Формики начал уже делать?
3 - формик
Рано ещё о формикарии думать.
4 - DameozА где покупал? и
Покупал тут : http://antshop.ru/
Сложно сказать почему именно структоры )) начитался про муравьев много всего за несколько дней, выбирал так сказать из имеющегося в магазине )))) хотелось не очень мелких мурашек, не сильно дорогих и не прихотливых в содержании. Первые же, очень хочется что бы все получилось и без массовых жертв:)
формикарий это отдельная головная боль :( уже голову себе сломал... выпучив шлаза перечитал/пересмотрел кучу вариантов формиков... в итоге почти после каждого нового отчета о строительстве формикария принимал волевое решение строить именно такой как у автора(с своими изменениями/дополнениями)! Решение сохранялось ровно до прочтения очередного отчета :(
Я даже с типом формика определиться не могу :((( это ужас просто какой то...
Решил так, дожидаюсь моих мурашек, делаю им простейшую арену и выращиваю поголовье до 20-30 едениц :) За это время надеюсь получится определиться хотя бы с типом формика.
5 - TimKivan_sfxС началом)
вот и я соглашусь, лучше о нем пока не думать, только мозг набекрень от этих думок, к тому же маршки то еще не доехали :( уже весь извелся в ожидании.
кстати, как выяснилось пробирки слеклянные не продаются нифига, пришлось ехать в больничку и там клянчить.
6 - dimazip За это время надеюсь
мое мнение, жнецам нужен формик горизонтальный либо наклонный(около 45 градусов), в вертикальном формике они часто падают в вертикальных коридорах.
7 - Выскажу и я свое мнение.
Выскажу и я свое мнение. Сделал своим жнецам вертикальный формикарий(см. фотки в блоге). Ходы вырезал отверткой и ножом пока алебастр еще был влажный. То-есть стенки шероховатые,я их специально не шлифовал. И жнецы без проблем лазят.
8 - Skeletisheмое мнение, жнецам
Вот и я уже начитавшись склоняюсь к горизонтальному.



Руки чешутся, поехал сегодня выбирать маленький контейнер для первой арены (я так понимаю численность 20-30 рабочих достигается достаточно быстро). Выбрал вот такой контейнер:
Понравилось что крышка фиксируется ручками.
Сейчас пойду делать вентиляцию арены. И тут же впорос. Достаточно будет одного вентиляционного отверстия в крышке, закрытого круглой сеткой диаметром примерно 10 мм? Или лучше сделать 2 в крышке? А может быть 2 в крышке и пару по бокам?:)
9 - мало вентиляции, процентов
мало вентиляции, процентов 80% крышки должна быть сетка либо просто отверстие.
10 - Top6a мало вентиляции,
Спасибо, учту.
В таком случае наверное сделаю одно большое окно на 70-80% площади крышки. хорошо не начал сетки впаивать...
11 - Я противник закрытых арен и
Я противник закрытых арен и предпочитаю полностью открытые арены с нанесеной преградой от побегов.
12 - Top6a Я противник закрытых
И уверен что это правильно!
Но как я уже писал, арена то первая :) по этому и маленькая такая и наверное по этому же и с крышкой на всякий случай )))
Честно говоря есть у меня сомнения на счет всевозможных преград от побегов. Буду пробовать, тут на форуме огромное кол-во информации о о том как делать преграды и из чего и на сколько все эффективно. Вы думаете на первое время в подобного рода емкости лучше арену не делать?
13 - Насыпь на дно песка или
Насыпь на дно песка или камешков, поставь небольшую поилку и положи инкубатор прямо внутрь арену без всяких трубок. Вход в инкубатор немного прикрой - чтобы не зияла огромная дыра.
Крышку выбрось а по периметру намажь блеском для губ - я зашел в отдел дешевой базарной косметики и попросил просроченый блеск для губ - с радостью мне выдали коробку из под обуви полной этого "счастья" и всего за полдоллара у меня было два тюбика этой
гадостикрасоты.Полоски в 1 сантиметр хватит на пару месяцев свободно ( я своим мирмикам миниарену так и оформил)
Сделай для начала так, а потом сам поймешь какая арена тебе удобнее в эксплуатации и эстетичнее
14 - Кстати, видел же такое
Кстати, видел же такое решение... чего это сам про его не вспомнил. спасибо! :)
Только надо будет другую посудину купить, эта будет маловата.
15 - не надо большого тазика - все
не надо большого тазика - все равно поначалу муравьи будут несмелые. Если коробка больше длины инкубатора - как раз подойдёт, если меньше - не беда, можно соединить небольшой ( около 5 см) трубочкой.
16 - наша почта и опасна и трудна...
Не перестаю удивляться тому, как у нас даже самую хорошую идею могут реализовать через Ж :)
Кажется, как же удобно отслеживать отправления первого класса через интернет, на сайте почты России.. но мы же в России живем :))) Мало того, что информация появилась по прошествии 2,5 суток после отправки, так еще и понять где посылка сейчас и когда ожидается в месте получения крайне сложно )))
не замерзнут ли там мои мурашки... по ночам становится прохладно
17 - не замерзнут, я в том году в
не замерзнут, я в том году в октябре получал. Информация поступающая на сайт почты России запаздывает на 2-3 дня!
18 - Сегодня принесли извещение
Сегодня принесли извещение ))))
Они еще вчера были на месте :((((
Так это пол беды, я то до завтра дотепрлю, но наше почтовое отделение решило работать на выдачу почтовых отправлений только с 13 до 15... как говорится, маразм крепчал... Как мне забрать посылку из отделения почты в этот интервал времени непонятно, работаю то я с 9 до 18...
в общем все у нас делается для людей и ради людей...
19 - Ну ради такого дела может
Ну ради такого дела может начаться диарея (молоко вдвойне смешней, если после огурцов); заболеть зуб; жена забыть ключи; соседи позвонить, что протекает кран и тд и тп. Придумать как слинять с работы на час можно ;)
20 - Malleus молоко вдвойне
или/и после соленой рыбы,
а самое простое отпроситься на почту, сославшись на режим работы и выдачи посылок.
21 - Похоже не я один после того
Похоже не я один после того поста на япе загорелся муравьями. :)
22 - bc---- Похоже не я один после
Это заразно
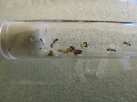
23 - Итак, посылка благополучно
Итак, посылка благополучно получена, все живы здоровы. Отеки с тариками поселены в отдельное благоустроенное помещение. К мессорам подключил пробирку побольше.
Пол ночи наблюдал за мурашками :) Сейчас сил нет уже делать более подробное описание всего что вчера происходило, но было очень интресно :)
В процессе выявилось несколько неприятных моментов коткрые мне предстоит решить:
- Мурашки сделали из моей новой пробирки мусорку, из переходной трубки зернохранилище и прекрасно себя чувствуют в старой пробирке :)
- я совершенно не умею делать макро-фото своим фотоаппаратом :( При чем раньше я тренировался на всяких комарах и прочей мелкоте, фото получались, мурашек хоть ты тресни не выходит сделать в нормальнм качестве :( Беду учиться.
24 - dimazip мурашек хоть ты
обрати внимание на что фокусируется фотоаппарат, скорее всего на стекло, или на мусор на стекле.
25 - Вчера при кормлении пойманным
Вчера при кормлении пойманным комаром понял, что надо делать маленький форм, ибо не очень удобно отлавливать любопытных мурашек. Сказано- сделано )))





Прошу строго не судить, форм первый, опыт работы с гипсом так же первый.
Из инструмента использовал пару отверток и Dremel с плоской фрезой. Дождаться полного высыхания гипса терпения не хватило, так что камеры начал делать через 4 часа после заливки формы (кстати, отливка вышла из формы достаточно легко). Не смотря на то, что гипс был влажным, мои опасения на счет фрезы не оправдались. Фреза прекрасно резала мокрый гипс и им не забивалась. В итоге на черновую прорезку камер и ходов ушло минут 10. Дальше доводил все отвертками (ничего более подходящего дома не нашел). Получилось несколько коряво, но для первого формика думаю, пойдет .:) В процессе сделал много заметок того, что и как делать надо было по-другому, другими материалами и инструментами… опыт однако
Вот несколько фото формикария. Вот думаю, стоит после полного высыхания шлифануть все ходы и камеры или пусть останутся такими шероховатыми как есть? По идее мурашкам удобнее будет с шероховатыми камерами и ходами.
Сегодня же решил в очередной раз провести хоть какую-нть фото сессию мурашек… В итоге смог таки сделать несколько приемлемых фото. Был удивлен и одновременно огорчен тем, что все более менее приличные фото получаются в полностью автоматическом режиме. Т.е. мой фотоаппарат на столько «умный», что на полном автомате делает приемлемые фото и в то же время я на столько криворук, что в другом режиме не смог сделать даже таких фото.







Очень интересно было смотреть как мурашки разделываются с комаром! К сожалению процесс не заснял, попробую записать видео при следующем кормлении. Учитывая что комар был крупным, я несколько переживал, не хотел распугать. Комар был полностью работоспособен (удалось заловить его пинцетом на стене за брюшко, практически не повредив ), и сразу же после попадания в пробирку (она же подобие арены в настоящее время) начал активно по пробирке летать. Один из присутствующих в это время мурашей, надо сказать чуть ли не самый мелкий из всех, отважно ринулся на комара! Схватил его за хвост и больше не отпускал!!! Это надо было видеть, комар летающий по пробирке и маленькая мурашка у него на хвосте. Не имею ни малейшего предположения как он смог позвать подкрепление, но подмога не заставила себя ждать! 3 крупный муравья ринулись из основной пробирки на помощь собрату. Комара схватили за передние конечности и прижали к стенке пробирки. Сопротивление было бесполезно… Без промедления комар был транспортирован в основную пробирку. Судя по тому, что через несколько минут из основной пробирки резво бежал на мусорку муравей с крылом комара, разделали его быстро.
И на последок фото временного жилища моих мурашек.
