Сегодня видел вот такое: Убирали старую перевернутую емкость. Подняли. Возле стенки муравьи построили мини-муравейник. Можно увидеть все ходы и камеры(На заметку тем, кто ищет схему ходов и камер)
Ничего сделать не смог, тк это было далеко от дома. Положил рядом только кусок шифера, хоть небольшое укрытие.
Всем привет! Получил от Владимира(vitimof) колонию Serviformica fusca, спасибо большое ему за эту колонию) Муравьи мне очень понравились.
Муравьи только сегодня начали обследовать арену основательно. 1 рабочий пил сироп с камушка(см.фото), относил в пробирку, возвращался с пустым брюшком и снова относил сироп в пробирку. Другой муравей начал выносить мусор из пробирки и начинает делать мусорку. К белку особо не тянутся. Наловил вчера кузнечиков на лугу: есть не хотят. Но я думаю это от того, что я им до этого давал двух мух. Они до сих пор лежат в пробирке.
Вот фото арены:
Пробирка: К сожалению не могу сделать фото по лучше, да и мурашки в кучу сбились
Три дня назад в коридоре дома нашел матку(?). Вроде бы следы от крыльев есть, да и по размерам большая(~1см) Родители говорят что видели муравьев на кладбище таких же размеров. Но ведь там не могут быть одни матки(?!). После сравнений по фото, ареалу и цвету Получились следующие виды:
Formica polyctena
Formica pratensis
Formica rufa
Formica rufibarbis
Но это при том что я смотрел лишь среди рода Формика... Может это еще какой то род..
Как я понял ей нужны рабочие и коконы. Собрал десяток рабочих с ближайшего гнезда(какие то формики) И коконов нигеров закинул. Рабочих в воде помыл.
Правильно ли я все сделал?
Фото:
Всем привет!
Колония сервиформики фуски понемногу растет. Яйца превратились в личинки. Вот фото
Скрытый текст
В колонии есть солдат, чуть поменьше матки, его заснять не получилось.
Вот так фуражир заложил вход в инкубатор(решил замаскировать вход камушками, чтоб покрасивей выглядело)
1
3
Видео:
Арену немного изменил, выглядит вот так
Ничего нового в семье формик нет.
Пофоткал матку, может сможете определить вид?
Скрытый текст
Рожица матки. Видно где усики находятся.
А это рожица мурашей которых я подсадил к матке(кстати в муравейнике этих доноров под камушком где вход в гнездо бегают крылатые самцы, маток вроде нет)
Так же я поймал недавно 2 матки тетрамориумов. Уже отложили яйца, у одной из них яйца розовые? ПОчему так?
Lasius fuliginosus
Около недели назад поймал я несколько маток Lasius fuliginosus. Сделал все как посоветовал Михаил(Likeman)
Накрыл муравейник нигеров кусочком ленолеума. На следующий день у меня уже были коконы для заполнения инкубаторов. Поселил в инкубаторы по 2 рабочих. Через несколько дней у меня во всех инкубаторах были свежие рабочие(все старые были возвращены в гнездо).
Вот так выглядят колонии сейчас. ВОзможно я переборщил с коконами(не убивайте меня)
Помните ту матку?
Как показал Antvid Это Formica polyctena
Цитирую:
Особенности содержания: Благодаря ярко-выраженной полигинии должен легко подниматься при помощи подселения отлетевшей матки в отводок из 50-150 муравьев этого же вида (что не всегда удается у F. rufa).
У меня в семье около 15 рабочих. И матка уже давно живет. А яиц нет. В чем может быть проблема?
3 дня назад наблюдал лет Lasius flavus. В 5 метрах от муравейника поймал двух крылатых маток. Они до сих пор не скинули крылья и не отложили яиц.
Они не оплодотворены? Выпустить их?
Screenshotik
3 дня назад наблюдал лет Lasius flavus. В 5 метрах от муравейника поймал двух крылатых маток. Они до сих пор не скинули крылья и не отложили яиц.
Они не оплодотворены? Выпустить их?
А вы думаете они найдут с кем спариться? Через три дня после лета?
Зачем вообще ловить крылатых?
Так же забыл рассказать вам о муравейнике формики(!?) за моим домом.
Муравьи достаточно крупные(около 10мм), по сравнению с теми, что обитают ближе к дому.
Желтый: Основной муравейник
Красный: "Придаточные" муравейники.
Синий: Тропа
Поверх гнезда кипит работа: Кто то палочку таскает, кто то корм домой несет. :D
Основное гнездо
(Осторожно! Много фото)
Я так и не смог понять куда уходит эта тропа. Тк если идти вперед начинается овраг и крупная трава. Возможно они идут на дерево, которое располагается в той стороне.
Движение очень оживленное, причем в ОБЕ стороны. (Может быть на противоположном конце тропки есть такое же большое гнездо?)
Screenshotik
Как показал Antvid Это Formica polyctena
берут сомнения по поводу поликтены, больше на пратенсиса похожа. И по поводу отсутствия яиц-у меня сидит поликтена с рабочими фуски и ещё каких то сервик уже с апреля, и до сих пор кладки нет, а в маленьком формике сидят вместе две матки поликтен уже с кучей пакетов яиц и личинками, у них все рабочие фусок. Так что всё зависит от матки, но всё же для маток группы руфа количество рабочих в процессе кладки яиц играет очень большую роль. С апреля держу и наблюдаю за 3 матками поликтены и 4 пратенсиса))
bx
но всё же для маток группы руфа количество рабочих в процессе кладки яиц играет очень большую роль.
Оспорю.
У меня в одной пробирке (больше не нашлось, куда посадить) сидели матки поликтены вообще без рабочих, пока я доноров искал, тем не менее, за двое суток сообща накидали десятка три яиц минимум. Т.е., тут и от матки зависит, я считаю.
Ivan
сидели матки поликтены вообще без рабочих, пока я доноров искал, тем не менее, за двое суток сообща накидали десятка три яиц миниму
Погодите, а разве поликтены могут откладывать яйца сами?
Цитирую ЭнтвиД: Способом основания семей и степенью полигинности (количеством самок) F. rufa и F. polyctena не отличаются друг от друга. Оба вида могут основывать гнёзда паразитически, но происходит это крайне редко. В основном они размножаются отводками. Именно поэтому и возникла проблема их искусственного расселения. Оба вида после лёта принимают в гнёзда молодых самок, что и позволяет им существовать долгие годы и достигать высокой численности.
Получается, что если они могут откладывать яйца сами, то мне будет лучше отсадить матку в другой инкубатор одну?
Может быть ей мешают рабочие, или что то еще?
Screenshotik
Способом основания семей и степенью полигинности (количеством самок) F. rufa и F. polyctena...
По тому, что я знаю, руфа не полигинный вид. Я ошибаюсь ?
Screenshotik
Получается, что если они могут откладывать яйца сами, то мне будет лучше отсадить матку в другой инкубатор одну?
У меня откладывали. Но не отдельные матки, а сидя в компании, 9 маток в одной пробирке.
Но в любом случае, выращивать яйца, а потом и личинки они не умеют - нужны рабочие-доноры.
Из систематики на сайте:
"В отличии от своих близких родственников F. polyсtena в семьях F. rufa находится обычно только одна матка, реже - 3-4. Полигиня для руф не характерна."
Вы неправильно воспринимаете информацию.
Дело не в том, что они не могут, а в том, что они не станут этого делать, если некому будет о них позаботиться. Просто помимо обычных критериев типа влажности и температуры, у некоторых муравьев есть дополнительные, это и имеется ввиду.
Хроно
Дело не в том, что они не могут, а в том, что они не станут этого делать, если некому будет о них позаботиться. Просто помимо обычных критериев типа влажности и температуры, у некоторых муравьев есть дополнительные, это и имеется ввиду.
Комментарии
1 - Все мирмикиперы должны пройти
Все мирмикиперы должны пройти это.
2 - Сегодня видел вот такое:
Сегодня видел вот такое: Убирали старую перевернутую емкость. Подняли. Возле стенки муравьи построили мини-муравейник. Можно увидеть все ходы и камеры(На заметку тем, кто ищет схему ходов и камер)


Ничего сделать не смог, тк это было далеко от дома. Положил рядом только кусок шифера, хоть небольшое укрытие.
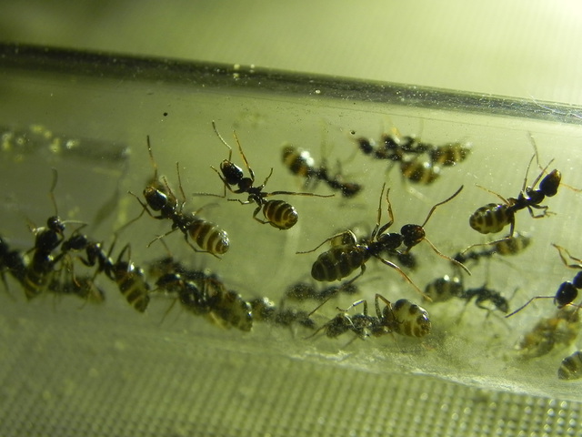
3 - Всем привет! Получил от
Всем привет! Получил от Владимира(vitimof) колонию Serviformica fusca, спасибо большое ему за эту колонию) Муравьи мне очень понравились.
К сожалению не могу сделать фото по лучше, да и мурашки в кучу сбились
Муравьи только сегодня начали обследовать арену основательно. 1 рабочий пил сироп с камушка(см.фото), относил в пробирку, возвращался с пустым брюшком и снова относил сироп в пробирку. Другой муравей начал выносить мусор из пробирки и начинает делать мусорку. К белку особо не тянутся. Наловил вчера кузнечиков на лугу: есть не хотят. Но я думаю это от того, что я им до этого давал двух мух. Они до сих пор лежат в пробирке.
Вот фото арены:
Пробирка:
Мурашка носящий сироп:
4 - Три дня назад в коридоре дома
Три дня назад в коридоре дома нашел матку(?). Вроде бы следы от крыльев есть, да и по размерам большая(~1см) Родители говорят что видели муравьев на кладбище таких же размеров. Но ведь там не могут быть одни матки(?!). После сравнений по фото, ареалу и цвету Получились следующие виды:
Formica polyctena
Formica pratensis
Formica rufa
Formica rufibarbis
Но это при том что я смотрел лишь среди рода Формика... Может это еще какой то род..
Как я понял ей нужны рабочие и коконы. Собрал десяток рабочих с ближайшего гнезда(какие то формики) И коконов нигеров закинул. Рабочих в воде помыл.
Правильно ли я все сделал?
Фото:
5 - Ээм, что..?
''И коконов нигеров закинул.''
Да и с формикой я б так не рисковал, подбрасывать любой похожий вид
А причем тут лазиус? Это ж вообще другой род!
6 - Всем привет!Колония
Всем привет!

Колония сервиформики фуски понемногу растет. Яйца превратились в личинки. Вот фото
Скрытый текст
В колонии есть солдат, чуть поменьше матки, его заснять не получилось.
Вот так фуражир заложил вход в инкубатор(решил замаскировать вход камушками, чтоб покрасивей выглядело)


1
3
Видео:
Арену немного изменил, выглядит вот так

Ничего нового в семье формик нет.

Пофоткал матку, может сможете определить вид?
Скрытый текст
Рожица матки. Видно где усики находятся.
![RSCN8669[1]_0.JPG](/files/u3737/RSCN8669%5B1%5D_0.JPG)
![RSCN8670[1].JPG](/files/u3737/RSCN8670%5B1%5D.JPG)
А это рожица мурашей которых я подсадил к матке(кстати в муравейнике этих доноров под камушком где вход в гнездо бегают крылатые самцы, маток вроде нет)
Так же я поймал недавно 2 матки тетрамориумов. Уже отложили яйца, у одной из них яйца розовые? ПОчему так?
Старенькое фото, правда:
На этом все
snip: Скрывайте часть фотографий под спойлер.
7 - Розовые - наевшиеся до пуза,
Розовые - наевшиеся до пуза, не имеющие потребности ни в чем.
8 - У формик нет солдат. А так
У формик нет солдат. А так всё супер.
п.с. порадовали пузатые фуски - так держать!
9 - Хотелось бы услышать мнение
Хотелось бы услышать мнение Александра(timk) По поводу матки формики
10 - Всем привет! Небольшой отчет
Всем привет! Небольшой отчет о жизни "колоний"
Serviformica fusca
Кормлю дрозофилами, кузнечиками и сиропом.


В колонии появился кокон.
Пришлось немного потревожить муравьев чтобы сделать это фото. Так выглядит дно пробирки. Оно все заслано волокнами ваты. Это нормально?

Фуражир



"Кузнечик без головы"
Пьем сиропчик
11 - Около недели назад поймал я
Lasius fuliginosus
ВОзможно я переборщил с коконами(не убивайте меня)




Около недели назад поймал я несколько маток Lasius fuliginosus. Сделал все как посоветовал Михаил(Likeman)
Накрыл муравейник нигеров кусочком ленолеума. На следующий день у меня уже были коконы для заполнения инкубаторов. Поселил в инкубаторы по 2 рабочих. Через несколько дней у меня во всех инкубаторах были свежие рабочие(все старые были возвращены в гнездо).
Вот так выглядят колонии сейчас.
12 - Tetramorium caespitum Обе
Tetramorium caespitum
Обе матки несут очень много яиц. Уже появляются личинки.
А вторая матка вызывает сомнения что она Tetramorium caespitum. Как по мне, она больше на Соленопсиса похожа. Но возможно я ошибаюсь.



13 - Помните ту матку?Как
Помните ту матку?

Как показал Antvid Это Formica polyctena
Цитирую:
У меня в семье около 15 рабочих. И матка уже давно живет. А яиц нет. В чем может быть проблема?
14 - 2 дня назад поймал матку.
2 дня назад поймал матку. Antvid показал что это Serviformica cunicularia. У матки уже есть пакет яиц(около 10) Чем мне эта матка очень понравилась.

15 - 3 дня назад наблюдал лет
3 дня назад наблюдал лет Lasius flavus. В 5 метрах от муравейника поймал двух крылатых маток. Они до сих пор не скинули крылья и не отложили яиц.
Они не оплодотворены? Выпустить их?
16 - Screenshotik 3 дня назад
А вы думаете они найдут с кем спариться? Через три дня после лета?
Зачем вообще ловить крылатых?
17 - altair3000 Зачем вообще
Я надеялся что матки уже оплодотворены. И ищут себе спокойное место.
18 - Так же забыл рассказать вам о
Так же забыл рассказать вам о муравейнике формики(!?) за моим домом.

Муравьи достаточно крупные(около 10мм), по сравнению с теми, что обитают ближе к дому.
Желтый: Основной муравейник
Красный: "Придаточные" муравейники.
Синий: Тропа
Поверх гнезда кипит работа: Кто то палочку таскает, кто то корм домой несет. :D
Основное гнездо
(Осторожно! Много фото)
Я так и не смог понять куда уходит эта тропа. Тк если идти вперед начинается овраг и крупная трава. Возможно они идут на дерево, которое располагается в той стороне.
Движение очень оживленное, причем в ОБЕ стороны. (Может быть на противоположном конце тропки есть такое же большое гнездо?)
Тропа
19 - Screenshotik Возможно я
Скорее, "недоборщил" с пробиркой.
Чем больше коконов, тем больше шансов на успешный старт. Но и жить ведь тоже где-то надо :)
20 - likeman Скорее, "недоборщил"
Согласен! В Ярославле (В тех районах, до которых я могу добраться) нет пробирок нигде.
А сейчас я вообще в деревне, так что тут только шприцы помогут.
Может убрать немножко коконов?
21 - .
.
22 - Можно. Но не нужно :)
Можно. Но не нужно :)
Когда матка "стартанёт" с откладкой яиц, лишних рабочих не будет точно.
23 - формика
берут сомнения по поводу поликтены, больше на пратенсиса похожа. И по поводу отсутствия яиц-у меня сидит поликтена с рабочими фуски и ещё каких то сервик уже с апреля, и до сих пор кладки нет, а в маленьком формике сидят вместе две матки поликтен уже с кучей пакетов яиц и личинками, у них все рабочие фусок. Так что всё зависит от матки, но всё же для маток группы руфа количество рабочих в процессе кладки яиц играет очень большую роль. С апреля держу и наблюдаю за 3 матками поликтены и 4 пратенсиса))
24 - bxно всё же для маток группы
Оспорю.
У меня в одной пробирке (больше не нашлось, куда посадить) сидели матки поликтены вообще без рабочих, пока я доноров искал, тем не менее, за двое суток сообща накидали десятка три яиц минимум. Т.е., тут и от матки зависит, я считаю.
25 - Ivan сидели матки поликтены
Погодите, а разве поликтены могут откладывать яйца сами?
Цитирую ЭнтвиД: Способом основания семей и степенью полигинности (количеством самок) F. rufa и F. polyctena не отличаются друг от друга. Оба вида могут основывать гнёзда паразитически, но происходит это крайне редко. В основном они размножаются отводками. Именно поэтому и возникла проблема их искусственного расселения. Оба вида после лёта принимают в гнёзда молодых самок, что и позволяет им существовать долгие годы и достигать высокой численности.
Получается, что если они могут откладывать яйца сами, то мне будет лучше отсадить матку в другой инкубатор одну?
Может быть ей мешают рабочие, или что то еще?
Но тогда я соглашусь с bx что это пратенсис
26 - Screenshotik Способом
По тому, что я знаю, руфа не полигинный вид. Я ошибаюсь ?
У меня откладывали. Но не отдельные матки, а сидя в компании, 9 маток в одной пробирке.
Но в любом случае, выращивать яйца, а потом и личинки они не умеют - нужны рабочие-доноры.
27 - Из систематики на сайте: "В
Из систематики на сайте:
"В отличии от своих близких родственников F. polyсtena в семьях F. rufa находится обычно только одна матка, реже - 3-4. Полигиня для руф не характерна."
28 - Вы неправильно воспринимаете
Вы неправильно воспринимаете информацию.
Дело не в том, что они не могут, а в том, что они не станут этого делать, если некому будет о них позаботиться. Просто помимо обычных критериев типа влажности и температуры, у некоторых муравьев есть дополнительные, это и имеется ввиду.
29 - Хроно Дело не в том, что они
Спасибо за ответ.
30 - Хроно Дело не в том, что они
У меня стали :)
Но это частный случай. Рабочие-доноры нужны в любом случае, несутся матки без них, или нет.