За годы увлечения муравьями уже имеешь представление, что можно ожидать от местной мирмекофауны, но все равно есть желание найти что-нибудь необычное. Буквально вчера взял сачок, множество баночек и отправился на зооэкскурсию в весенний лес. Навестил известные муравейники, подправил у некоторых порушенные купола (наверное по весне кабаны лакомились муравьями). Наловил личинок комаров для аквариумных рыбок в канаве и решил посмотреть, как поживает небольшая семья Tetramorium caespitum на песчаном, покрытом лишайниками, косогоре. Пока искал вход в это гнездо на глаза попался очень мелкий (в районе 2 мм) желтый муравьишка., напоминающий Monomorium pharaonis. Даже сам удивляюсь, как я его увидел. Он нырнул под прошлогодний почерневший листик, подняв который обнаружил в маленькую группу этой неизвестной мелочи. Чтобы выяснить видовую принадлежность подчерпнул все эту компанию вместе с частью грунта при помощи пластиковой соусницы. Приехав домой, попытался через лупу рассмотреть муравьев, но мешали частицы грунта, поэтому соорудил из пробирки инкубатор и соединил его трубочкой с соусницей. Муравьишки в течение часа переселились из пересыхающей соусницы в затемненную пробирку с увлажнением и оказалось, что среди рабочих даже была чуть более крупная матка. Стал искать по определителю муравьев по фотографиям . Нахожу, что это Temnothorax unifasciatus. Похожих муравьев я держал 3 года назад, но присылал мне их KVA из Владикавказа, да и ареал их обитания, по тому же определителю южнее Орел-Воронеж-Самара.
1 - Красивые! [img
Красивые!
2 - В этом году тораксы
В этом году тораксы популярны) Будете вести о них блог? Что стало с прошлыми колониями?
3 - По-моему сейчас всем хочется
По-моему сейчас всем хочется крупных муравьев, с подобной мелочью мало кто хочет связываться. Блога пока не будет. Тут речь о другом, как муравьи из гораздо более южного ареала оказались в наших лесах.
4 - Навестил известные
У нас часто тоже встречается такая картина. Думал, что зверь какой, но нет у нас таких зверей. Если за куполом долго не ухаживают, то он проседает, и получается такая яма. Это постоянно наблюдается у покинутых муравейников и у ряда перезимовавших семей. Ну это так, к слову.
А темноторакс - да, занятные муравьи.
Я в этом месяце при разгребании мусора на даче тоже нашел колонию таких. Только не как у Владимира. Матка очень светлая, визуально другая. Скорее всего это другой вид темноторакса.
Самое интересное в них - это их взаимодействие с другими муравьями. Точнее отсутствие его как такового. Многие виды темнотораксов вообще игнорируют, поэтому такая маленькая семья может жить и питаться на арене с другим видом. У меня так жили темно и мессоры. Мессоры малышей вообще не замечали и их гнездо разворотить не пытались.
5 - S.T.E.L.S. Думал, что зверь
Есть множество наблюдений, когда птицы, особенно врановые очищаются от паразитов при помощи муравьев. Вот одно из них: Серая ворона (по-моему, молодая) купалась в муравейнике, как воробей в песке. Муравейник раскопала, получилась ямка, и ворона там лежала, распустив крылья, терлась об землю с муравьями. Муравьи ее всю облепили, по перьям ползали. Так она и улетела, вся покрытая муравьями.
Вот еще: Видели, как два скворца с налета вскочили в муравьиную кучу. Взъерошив перья, птицы поворачивались во все стороны, подставляя то один, то другой бок легионам взбешенных муравьев и чирикая от удовольствия.
Одна ворона, раскопав муравейник, принимала в нем муравьиные ванны целых 20 минут!
И.Акимушкин МУРАВЬИНЫЙ ТУАЛЕТ ПТИЦ
6 - vitimof S.T.E.L.S. Думал, что
Вот оно чё, Михалыч.(с)..
Гулял вчера в районе Парголово, видел много мелких куполов руфы или поликтены, и все со вмятиной в пару кулаков размером чуть ниже верхушки. Кабаны очень вряд ли, народу там много ходит, лесок прозрачный и поселок рядом.
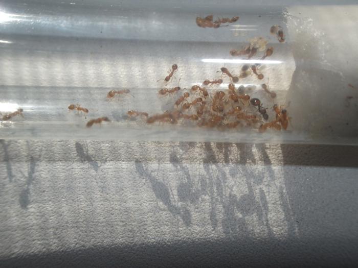
7 - За полгода семейка
За полгода семейка Temnothorax unifasciatus немного подросла и в наличии много приплода
8 - Temnothorax unifasciatus
Temnothorax unifasciatus переселил в маленький формикариум, изготовленный специально для них. Вот эти муравьи переехали буквально за несколько минут, хотя в пробирке и вода еще была.
9 - С переездом!
С переездом!
Думаю в формике семья начнет расти еще быстрее. Надеемся на продолжение истории.
10 - Обнаружил бегающих по столу
Обнаружил бегающих по столу 3-х микромуравьев Темнотораксов. Тут же заглянул к ним формикариум - пусто. Нет ни матки, ни приплода, ни рабочих. Осмотрел с лупой всю конструкцию и не нашел место, через которое они смогли уйти. Дальнейший осмотр привел меня к стоявшему рядом гнезду кампонотусов никобарензис. В днище пластикового корпуса их формикариума было сделано технологическое отверстие для заливки гипса. Через это отверстие в зазор между днищем и гипсом и переселилась семейка Темнотораксов. В подтверждение этого, при осмотре из этого места выпала их личинка. Выманить их оттуда нет возможности, так там и живут. Подкармливаю их, подкидывая дрозофилку и каплю меда и периодически наблюдаю за пробегающими по столу рабочими. Мелкие, почти неразличимые, как раз под цвет крышки стола.
11 - Вчера ездил на загородную
Вчера ездил на загородную дачу. Снег только что сошел, желтеют цветки мать-и-мачехи, бурая прошлогодняя трава, очень сыро. Перевернул кусок линолеума, с обратной стороны увидел рабочих муравьев Лазиус нигер и среди них с десяток жучков мирмекофилов. Собрал сколько мог в коробочку, чтобы дома повнимательнее рассмотреть. По строению тела ясно, что это Staphylinidae. В книге И.А.Халифмана "Пароль скрещенных антенн" упоминается, живущий в гнездах Лазиусов жук-ощупник Claviger testaceus, но это явно не он. Скорее всего это какая-то Lomechusa или Atemeles
12 - Если очень хочется определить
Если очень хочется определить - попробуйте показать фото на
Там есть форум по жукам (определение по фотографиям). Очень хорошие специалисты.
13 - Выставил эти фото для
Выставил эти фото для определения на сайте в разделе Определение жуков.
14 - На сайте ответили что это жук
На сайте ответили что это жук рода Zyras (лат.) мирмекофильных жуков-стафилинид из трибы Lomechusini (подсемейство Aleocharinae). Один из крупнейших родов, включающий более 800 видов и 50 подродов. Кто-то сможет определить и до вида, вероятно.
15 - Специалисты уточнили до вида:
Специалисты уточнили до вида: L.niger, почти наверняка Pella limbata будет (ну или Zyras limbatus, кому как нравится)