после того как вытащил своих из зимовки, видео ниже, у всех началось бурное развитие, личинки у герки, сахатилисов и фалакса растут не по дням а по часам))) так же у всех сахатилисов появились пакеты яиц, даже у тех кто на зимовку уходил в одиночестве. У геркулианусов так же кроме бурно растущих личинок появились пакеты яиц. У фалаксов пока яиц нет, только растущие личинки, как и у эфиопов, но матки раздулись так что думаю не долго ждать)))
фото чуть позже))
есть у меня матка сахатилиса, без 2 лап бедняга, была со всеми на зимовке, но в очередную проверку обнаружил её скрюченной на боку. Ессно сразу была с зимовки вытащена и в течении недельки постепенно поднимал ей температуру. Выжила, но вот с развитием колонии беда, пакетов нет. Я ей в начале подкинул личинку, изредка вижу за уходом , но размер личинки без изменений. Решил подкинуть рабочих так как брюшко начало по немногу худеть, все прошло без проблем, теперь у неё 3 рабочих, откормили её не много, но яиц так и нет. Собсно вопрос-могло ли повлиять преждевременное прерывание диапаузы? И как следствие может сейчас зимовку её возобновить?
bx
матка сахатилиса была со всеми на зимовке, но в очередную проверку обнаружил её скрюченной на боку
А у меня они все зимуют "на боку". И вагусы, и им подобные. После зимовки ещё дня два-три вообще не подают признаков жизни. Я пугался поначалу, теперь чуть-чуть поуспокоился.
Володя, полка, полка какая? )))
У меня раньше зимовали на нижней полке. И что-то стрёмно всегда было, ибо минус четыре там.
А вот в последний раз положил ещё ниже - отвоевал у благоверной один из двух ящичков для овощей. А там аж на два градуса теплее.
Сразу оговорюсь - температура указана в КИТАЙСКИХ градусах. Поэтому к цифрам прошу не цепляться.
Давненько не отписывался по кампам, реально времени все как то не хватает, а тем временем геркулианусы вышли из второй своей зимовки. Пробыли они там 1.5 месяца, и в очередной раз удивляюсь на сколько быстро у них развиваются личинки после зимовки, прошло чуть больше недели а личинки уже готовы плести коконы, и к тому же после зимокви первые личинки всегда крупные, а в этот раз и возможно солдаты)) так как они уже сейчас, в стадии личинки крупнее рабочих)
Хоть место в пробирке еще есть все же решил дать им выбор, и сделал формик, ну а так как они древестные жители, но ближе к земле, сделал им из газобетона))
общий вид
Такие арены из пластиковых судочков очень удобны в таких формиках, да и вообще))) дешевы и практичны)
Только вот по опыту знаю) не перейдут они сами из пробирки, ну да мне с ними не к спеху)
давненько не обновлял блог, да и сказать нечего, тьху-тьху, доращиваем очередное поколение.
Хотя странности в поведении есть, хоть личинки и развиваются, белок ковыряют вяло, зато сироп уходит с удовольствием)
Пришло время доставать моих герок из зимовки, которая продлилась почти 5 месяцев. Ни каких конфузов за это время ни произошло, все рабочие живы, матка тоже бодрячком, расплод на месте)
Ну вот, прошло чуть больше недели, именно столько понадобилось матке для восстановления сил) появились пакеты яиц, личинки как обычно растут не равномерно, не знаю от чего это зависит, но наблюдаю такое у них после каждой зимовки.
матка очень темная, если бы не красноватые лапки, то можно было внешне спутать с сахатилисом например))
Можно) почему нет, это тестовая версия новой фермы для магазина, в ней были некоторые конструктивные ошибки, ну и не пропадать же добру как говориться. Герки древесные, а с деревом я пока не рискую работать) поэтому решил гипсовую подложку сделать под структуру дерева) и слегка окрасить. Вот так выглядит.
Комментарии
1 - Один из самых больших
Один из самых больших муравьёв России
видео
2 - после того как вытащил своих
после того как вытащил своих из зимовки, видео ниже, у всех началось бурное развитие, личинки у герки, сахатилисов и фалакса растут не по дням а по часам))) так же у всех сахатилисов появились пакеты яиц, даже у тех кто на зимовку уходил в одиночестве. У геркулианусов так же кроме бурно растущих личинок появились пакеты яиц. У фалаксов пока яиц нет, только растущие личинки, как и у эфиопов, но матки раздулись так что думаю не долго ждать)))
фото чуть позже))
вывод из зимовки
3 - (Тема не указана)
4 - (Тема не указана)
5 - вот и первый кокон)
вот и первый кокон)

6 - в зимовку в основном все
в зимовку в основном все кампы ушли с личинками, многие вообще без рабочих, но вот как месяц после диапаузы)))
7 - Camponotus herculeanus тоже
Camponotus herculeanus тоже после зимовки не ленятся)
8 - продолжение в тему герки)
продолжение в тему герки) расплод на всех стадиях
9 - есть у меня матка сахатилиса,
есть у меня матка сахатилиса, без 2 лап бедняга, была со всеми на зимовке, но в очередную проверку обнаружил её скрюченной на боку. Ессно сразу была с зимовки вытащена и в течении недельки постепенно поднимал ей температуру. Выжила, но вот с развитием колонии беда, пакетов нет. Я ей в начале подкинул личинку, изредка вижу за уходом , но размер личинки без изменений. Решил подкинуть рабочих так как брюшко начало по немногу худеть, все прошло без проблем, теперь у неё 3 рабочих, откормили её не много, но яиц так и нет. Собсно вопрос-могло ли повлиять преждевременное прерывание диапаузы? И как следствие может сейчас зимовку её возобновить?

10 - просто герки)
просто герки)
11 - bx матка сахатилиса была со
А у меня они все зимуют "на боку". И вагусы, и им подобные. После зимовки ещё дня два-три вообще не подают признаков жизни. Я пугался поначалу, теперь чуть-чуть поуспокоился.
12 - likeman все зимуют "на
Странно, из 8 зимующих только эта пыталась изобразить труп) все остальные вели себя вяло конечно, но вполне нормально
13 - .
Нутк... Условия зимовки у нас с Вами наверняка отличаются.
14 - likeman наверняка
холодильник...сэр))
15 - .
Володя, полка, полка какая? )))
У меня раньше зимовали на нижней полке. И что-то стрёмно всегда было, ибо минус четыре там.
А вот в последний раз положил ещё ниже - отвоевал у благоверной один из двух ящичков для овощей. А там аж на два градуса теплее.
Сразу оговорюсь - температура указана в КИТАЙСКИХ градусах. Поэтому к цифрам прошу не цепляться.
16 - likeman один из двух ящичков
вот вам Михаил и ответ))
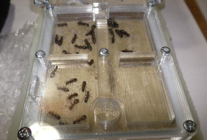
17 - Давненько не отписывался по
Давненько не отписывался по кампам, реально времени все как то не хватает, а тем временем геркулианусы вышли из второй своей зимовки. Пробыли они там 1.5 месяца, и в очередной раз удивляюсь на сколько быстро у них развиваются личинки после зимовки, прошло чуть больше недели а личинки уже готовы плести коконы, и к тому же после зимокви первые личинки всегда крупные, а в этот раз и возможно солдаты)) так как они уже сейчас, в стадии личинки крупнее рабочих)
Хоть место в пробирке еще есть все же решил дать им выбор, и сделал формик, ну а так как они древестные жители, но ближе к земле, сделал им из газобетона))
общий вид
Такие арены из пластиковых судочков очень удобны в таких формиках, да и вообще))) дешевы и практичны)
Только вот по опыту знаю) не перейдут они сами из пробирки, ну да мне с ними не к спеху)
раз
два
три
18 - давненько не обновлял блог,
давненько не обновлял блог, да и сказать нечего, тьху-тьху, доращиваем очередное поколение.
Хотя странности в поведении есть, хоть личинки и развиваются, белок ковыряют вяло, зато сироп уходит с удовольствием)
1
2
3
4
5
19 - Пришло время доставать моих
Пришло время доставать моих герок из зимовки, которая продлилась почти 5 месяцев. Ни каких конфузов за это время ни произошло, все рабочие живы, матка тоже бодрячком, расплод на месте)


20 - Ну вот, прошло чуть больше
Ну вот, прошло чуть больше недели, именно столько понадобилось матке для восстановления сил) появились пакеты яиц, личинки как обычно растут не равномерно, не знаю от чего это зависит, но наблюдаю такое у них после каждой зимовки.


матка очень темная, если бы не красноватые лапки, то можно было внешне спутать с сахатилисом например))


сам поел-поделись с другом(подругой)

сухарик, он знаете тоже еда))

ну и расплодец


красавец(а)

21 - Володя, на фоне чего сделаны
Володя, на фоне чего сделаны последние фото? Похоже на дерево. Это деревянный формикарий? Можно фото всей конструкции?
22 - Можно) почему нет, это
Можно) почему нет, это тестовая версия новой фермы для магазина, в ней были некоторые конструктивные ошибки, ну и не пропадать же добру как говориться. Герки древесные, а с деревом я пока не рискую работать) поэтому решил гипсовую подложку сделать под структуру дерева) и слегка окрасить. Вот так выглядит.


23 - bx Герки древесные, а с
Выглядит красиво. Не догадалась бы, что гипс. Судя по обилию расплода, герки тоже поверили, что живут в деревянном формике )))
24 - .
Правда, очень похоже на дерево :)
25 - Ну, как говорится, дело
Ну, как говорится, дело сдвинулось))
интересно что одна камера совсем не занимается расплодом) там чисто разделочная, при этом весь мусор выносится на арену

26 - а еще говорят, сиропчику
а еще говорят, сиропчику подвезли))

27 - немного видео о колонии.
немного видео о колонии.
28 - У матки моих герков грудка
У матки моих герков грудка бордовая , а у Вашей чёрная . То есть у Вас лингиперда или я невнимательно слушал ? :)
29 - alexangr У матки моих герков
это точно геркулеанусы,лигниперды на первом сегменте брюшка имеют красноватый окрас
30 - Ожидается неплохое пополнение
Ожидается неплохое пополнение помощников)
Кучки по больше
И кучка по меньше, но в перспективе...)