Продажа муравьев в Мск. Самовывоз.

Фото
Тип объявления:
продам
Условия
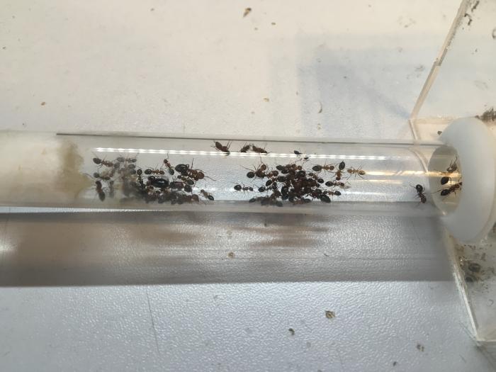
Всех приветствую. Продажа, только Москва, самовывоз. Венаторы. В колонии 10 или 11 особей. Есть матка, колония без клещей. Отдаю в формикарии. Формик в хорошем состояние. Цена 4500-5000 Кампонотус Ламерей. Колония 30-40 в диопаузе. Цена 1500. Если берете с Венаторами отдам за 1к. Писать по вопросам и доп. фото в ЛС.

Комментарии

Аватар пользователя Pablito

1 - День добрый, на феидоль нет

День добрый, на феидоль нет желания поменять венаторов? http://antclub.org/node/11145

Аватар пользователя mehraban

2 - ...

Весьма своеобразный продавец.

Договорились о месте/времени встречи, на встречу человек не явился, зато наглухо ушёл с сигнала и более на связь не выходил - т.е. прямого надувательства как бы и нет, но некоторое удивление осталось.

Причём, судя по голосу, возраста продавец уже не грудного и даже не детсадовского...