Myrmica sp.

Вот не писал о них, но напишу блог.
Купил я их 20 марта в количестве 25 рабочих у Юрия Тимофеева ( за что ему огромное спасибо! ).
Население: 50 - 70 рабочих.
Живут в пробирке с ареной.
Едят : мелких мраморных тараканов, мучняка, сахарный сироп.
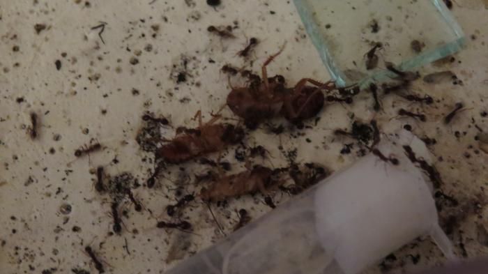
Ну просто классные мурахи! Кровожадные ( нападают и жалят, и вообше кошмар) ).
Вот фото:

Изображения: 

Комментарии

Аватар пользователя Сергей123

1 - Москитос, не пишите такие

Москитос, не пишите такие глупости про Бармалея и т.п... Глупо.

Аватар пользователя Nikitro

2 - Сергей123 Москитос, не

Сергей123

Москитос, не пишите такие глупости про Бармалея и т.п... Глупо.

" Сказал важный парень в костюме с галстуком" =)
в 16 лет то, уже все серьезно должно быть.

Аватар пользователя Москитос

3 - Nikitro Сергей123

Nikitro

Сергей123
Москитос, не пишите такие глупости про Бармалея и т.п... Глупо.

" Сказал важный парень в костюме с галстуком" =)
в 16 лет то, уже все серьезно должно быть.

Де ладно, ну все равно удалил.

Аватар пользователя KVA

4 - МоскитосКупил я их 20 марта

Москитос
Купил я их 20 марта в количестве 25 рабочих у Юрия Тимофеева

Если он не ловил больше маток сам, то у меня есть подозрение, что это мои земляки.
Иначе говоря, маток, которые положили начало колониям мирмик, ловил я :)
Так что, Марк, мирмики у тебя, вероятнее всего, с Кавказа. Понаехали тут эти мирмики! :))

Аватар пользователя Москитос

5 - KVA Москитос Купил я их

KVA

Москитос
Купил я их 20 марта в количестве 25 рабочих у Юрия Тимофеева
Если он не ловил больше маток сам, то у меня есть подозрение, что это мои земляки.
Иначе говоря, маток, которые положили начало колониям мирмик, ловил я :)
Так что, Марк, мирмики у тебя, вероятнее всего, с Кавказа. Понаехали тут эти мирмики! :))

О спасибо за инфу)

Аватар пользователя _Avokado_

6 - Интресный поворот)

Интресный поворот)

Аватар пользователя Москитос

7 - Новости о мирмиках

Мирмики живут сейчас в 3 камерном форме, рабочих под 200, плодятся бешено. Едят по 3 брюшка мраморов, пьют сироп, жалят). Скоро буду переселять, ато тут уже тесно будет скоро. Куча расплоду, этим они мне кремов напоминают.
Вот фото:

IMG_2392.JPG IMG_2393.JPG IMG_2390.JPG IMG_2391.JPG
Аватар пользователя Москитос

8 - Новости о мирмиках

Не так давно переселил мирмиков в 5 камерный форм. Сейчас они занимают 3 камеры. Только что специально хотел показать, как мирмики быстро мобилизуются, разрезал таракана, 2 фуражира их заметили и пошли * докладывать * о добыче в муравейник. Пишу, цепочка рабочих пришла, а я только хотел сфотографировать, как они всей толпой забирают таракана, но фотоаппарат разрядился((, в следующий раз покажу эту толпу. Сейчас колония в районе 250 рабочих, которые едят сколько дашь, сделал им отдельную арену.
Вот фото формика и 2 - х фуражира.

IMG_2558.JPG IMG_2564.JPG IMG_2563.JPG IMG_2555.JPG
Аватар пользователя darxon

9 - Москитос, не подскажете, как

Москитос, не подскажете, как у вас организован антипобег? у меня с мирмиками это огромная проблема, все время норовят куда-то улизнуть

Аватар пользователя Москитос

10 - darxon Москитос, не

darxon

Москитос, не подскажете, как у вас организован антипобег? у меня с мирмиками это огромная проблема, все время норовят куда-то улизнуть

Я смазываю детским маслом Джонсос бэби. И не бегут, 2 недели его на них хватает.

Аватар пользователя darxon

11 - спасибо, попробую

спасибо, попробую

Аватар пользователя Москитос

12 - Новости о мирмиках

Не так давно, примерно в середине апреля, мирмикам стало тесно в форме и я сделал им 3 камерный формикарий, которого думаю на пол года хватит. Сделал форму камер такие, потому что они мне нравятся. Семья развивается быстро, на подходе рабочих 50 из куколок станет + куча личинок разных возрастов. Позавчера дал им 14 мух, с каким аппетитом они их съели. Мобилизация у них быстрая, за 5 минут выбегает из гнезда рабочих 100. Когда сироп пьют, садятся на друг друга в 2 * этажа *. Вообщем, забавные муравьи, нисколько не жалею что их их держу.
Вот фото:
1 - общий вид формикария с электрошокером ( перевернуть не могу ), 2 - расплод, 3 - расплод, 4 - матка, 5 - арена, 6 - переговоры, 7 - потрошат туркмена.

IMG_3280.JPG IMG_3281.JPG IMG_3283.JPG IMG_3295.JPG IMG_3284.JPG IMG_3285.JPG IMG_3289.JPG
Аватар пользователя Москитос

13 - Новости о мирмиках 2

Делаю второй пост, для удобства пользователей.
1 - мобилизация, 2 - братва, 3 - спустя 5 минут.

IMG_3290.JPG IMG_3292.JPG IMG_3294.JPG