куплю тараканов и мучного червя

Тип объявления:
куплю
Условия
Куплю тараканов (любых),сверчка и мучного червя. Для разведения (кормовых) в Новосибирске или по почте.

Комментарии

Аватар пользователя маёрчик

1 - куплю

Или поменяюсь на Lasius flavus

DSCN1257.JPG
Аватар пользователя маёрчик

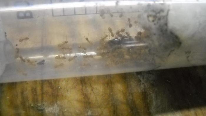
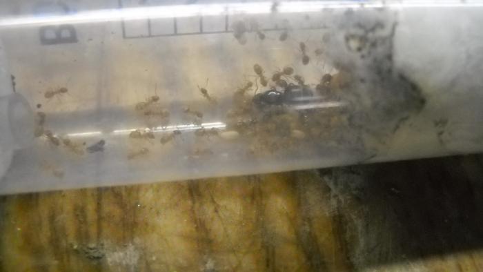
2 - Есть 2 матки в формиках

Есть 2 матки в формиках рабочих 30-50+яйца, личинки, коконы, и в шприцах 3 матки

DSCN1264.JPG DSCN1272.JPG DSCN1267.JPG