Monomorium pharaonis (Агрессивные собиратели)

Monomorium pharaonis (Агрессивные собиратели)

Всем доброго времени суток. Это мой первый “мирмикиперский” блог. Посвящу его, наверное, самым страшным, наводящим ужас на киперов, фараонисам. Для тех, кто в танке. Почему фараонисы опасны? Опасны они своим маленьким размером и излишним любопытством. Сбежать им не составляет труда. Могу сказать точно, что при успешном побеге колонии фараонисов, вы их не найдете. Уйдут под пол или еще более изощренные места. Они дадут о себе знать, позже) Это полигинный вид, а так же, у него есть отличная особенность - самки способны оплодотворяться прямо в гнезде. Так что, приступим.

Примерно год назад я сильно конфликтовал со своими новыми соседями – фараонами. Это были ужасные времена. Тогда я еще не знал должного способа отлова маток, да и не задумывался об этом. Использовал примитивные “Дедовские” методы. Покупал разные яды, травил борной кислотой, но все равно ничего из этого путного не вышло. Толпы рабочих ежедневно залезали в мой чайник. (Наверное, чувствовали тепло.) Горячий пар убивал муравьев и они падали в воду. И так один за другим. За час там мог собраться целый плот из трупов. А самое главное, что первое время я даже этого и не замечал. Пил чай с фараонами…
Позже, я наткнулся на ролик Ильи Комарова и стал выманивать маток! (Отдельное спасибо ему!)
Сначала я смог поймать 3-х маток, но из-за избытка гнева, пришлось обдать их кипятком. Потом, когда огонь войны потух, я решил рискнуть. А почему бы не завести себе колонию этих засранцев? Терять на тот момент мне было нечего. Если сбегут, то погоду не сделают. Ибо колонии распространились во всех комнатах. Даже на холодном балконе.
За непродолжительное время я все-таки смог поймать достойное количество маток и ссадить их вместе. (13 маток). На помощь к ним я подселил двух рабочих.
Спустя месяц! (На счет названия блога. Собиратели. Позже, все расскажу)

Изображения: 

Комментарии

Аватар пользователя LaRoS

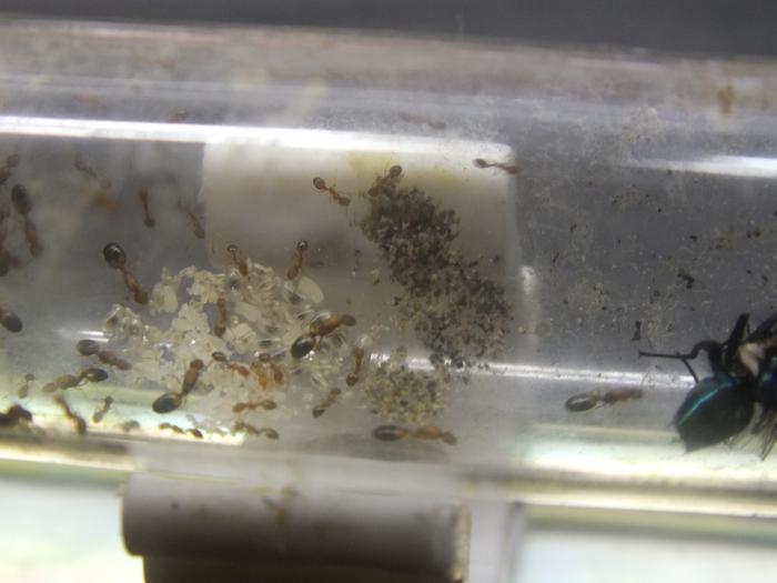
1 - Кормление

Для должного роста колонии нужен белок. Это ни для кого не секрет. Так как у меня нет корм. культур, я поступил самым примитивным способом - начал выращивать мух из опарышей. Новоиспеченным врагам друзьям они пошли по душе. Но я заметил небольшую странность. Они съедают муху не сразу.

Скрытый текст

Для начала, они загрызают ее досмерти, после, прорывают в ней тоннели и начинают вытаскивать все внутренности наружу... Они сделали что-то на подобии склада. Высушили останки и питаются ими.

DSCF6239.JPG DSCF6364.JPG
Аватар пользователя prografix

2 - LaRoS Покупал разные яды,

LaRoS
Покупал разные яды, травил борной кислотой, но все равно ничего из этого путного не вышло. Толпы рабочих ежедневно залезали в мой чайник. (Наверное, чувствовали тепло.)

Когда их травят ядами они стремятся к воде. Наверно, чтобы вывести токсины. У меня на работе когда-то выводили фараонов, так тоже в чайнике плавали кучи трупов и рабочих, и маток.

Аватар пользователя Feon

3 - Отлов маток

prografix
Позже, я наткнулся на ролик Ильи Комарова и стал выманивать маток! (Отдельное спасибо ему!)

А можно с этого места поподробнее, про ролик и способ отлова?
Google молчит как партизан.

Аватар пользователя LaRoS

4 - Ролик

Feon
А можно с этого места поподробнее, про ролик и способ отлова?

Вот данное видео, надеюсь, вам поможет:)

Аватар пользователя LaRoS

5 - Микроскоп.

Немного кадров с китайского USB микроскопа (Качество плохое) Мало расплода? Это не про нас:)

S20161004_0004.jpg S20161004_0005.jpg S20161004_0009.jpg S20161004_0008.jpg S20161004_0010.jpg
Аватар пользователя Иван Викторович

6 - Здравствуйте, они у вас уже

Здравствуйте, они у вас уже плодили половых особей?

Аватар пользователя LaRoS

7 - Иван Викторович Здравствуйте,

Иван Викторович
Здравствуйте, они у вас уже плодили половых особей?

Пока что нет, рабочих маловато. Жду пополнения)

Аватар пользователя KeeperAnts

8 - LaRoS Пока что нет, рабочих

LaRoS
Пока что нет, рабочих маловато. Жду пополнения)

а на фотографиях есть личинки уже больших размеров чем рабочие)

Аватар пользователя apozit

9 - .

Я бы на месте держателей этих муравьёв уже сейчас начал бы оставлять маток ,хотя бы на доли миллиметра крупнее других и добавлять в пищу гормоны роста, глядишь лет через 100 фараонисы будут размером с никобаренсисов))

Аватар пользователя Иван Викторович

10 - Я думаю все обладатели этого

Я думаю все обладатели этого вида задумывались об этом.

Аватар пользователя LaRoS

11 - KeeperAntsа на фотографиях

KeeperAnts
а на фотографиях есть личинки уже больших размеров чем рабочие)

Конечно, я не думаю, что они маточные) Так как в колонии очень маленькое кол-во рабочих. От силы 30. Так как я никого не поlсаживал, все рабочие родные. Но если это матки и самцы, то я буду не против:)

Аватар пользователя LaRoS

12 - apozit глядишь лет через 100

apozit
глядишь лет через 100 фараонисы будут размером с никобаренсисов))

Это будет ад) Толпы огромных муравьев заполонят мою кухню:)

Аватар пользователя LaRoS

13 - Новая партия

Поставив одну ловушку, я смог собрать 7 маток! Примерно за 3 часа слежки. (Уверен, что маток было больше, но я их упустил). Я думаю, что эти матки особой погоды не сделают и решил продать 2 колонии (4-х маточную и 3-х маточную) Другим смельчакам. Покупатели нашлись буквально за несколько минут. Не знал, что на фараонов такой хороший спрос.

S20161007_0001.jpg S20161007_0002.jpg S20161007_0003.jpg S20161007_0006.jpg
Аватар пользователя calesco

14 - как узнать, есть ли в моем

как узнать, есть ли в моем доме такие жители? конкретно у меня в квартире нет и никогда не было, а хочется. но новую заразу в дом приносить совсем желания нет, соседи спасибо не скажут))))

Аватар пользователя Evgen

15 - LaRoS Поставив одну ловушку,

LaRoS
Поставив одну ловушку, я смог собрать 7 маток! Примерно за 3 часа слежки. (Уверен, что маток было больше, но я их упустил). Я думаю, что эти матки особой погоды не сделают и решил продать 2 колонии (4-х маточную и 3-х маточную) Другим смельчакам. Покупатели нашлись буквально за несколько минут. Не знал, что на фараонов такой хороший спрос.

хах, Вы, товарищ, сидите на "золотой жиле " :)

Аватар пользователя LaRoS

16 - calesco как узнать, есть ли в

calesco
как узнать, есть ли в моем доме такие жители?

Они бы дали вам о себе знать. Если хотите фараонов, то берите и не боитесь. (Если есть опыт). Сдерживать их не очень то и трудно. В формикарии нужно будет сделать крышку с бортиками, в них налить масло. Все просто.

Аватар пользователя calesco

17 - Опыт есть, и муравьи тоже

Опыт есть, и муравьи тоже есть. Живут на кухне (в прямом смысле). Не потащу я в дом фараонов, хотя хочется, конечно. Если еще эти сбегут, то меня муж выселит))))

Аватар пользователя LaRoS

18 - calesco Опыт есть, и муравьи

calesco
Опыт есть, и муравьи тоже есть. Живут на кухне (в прямом смысле). Не потащу я в дом фараонов, хотя хочется, конечно. Если еще эти сбегут, то меня муж выселит))))

Хех) Смотрите сами) Скажу сразу, мурашики очень интересные.

Аватар пользователя Feon

19 - LaRoSВ формикарии нужно

LaRoS
В формикарии нужно будет сделать крышку с бортиками, в них налить масло.

А можно поточнее обрисовать картину? Пока представил только небольшую емкость с маслом по периметру стенок.

calesco
Если еще эти сбегут, то меня муж выселит

У меня похожая ситуация была, когда Я принес для мурашей живой корм))

Аватар пользователя LaRoS

20 - FeonА можно поточнее

Feon
А можно поточнее обрисовать картину? Пока представил только небольшую емкость с маслом по периметру стенок.

У некоторых крышок контейнеров есть "Боритки". Нужно обрезать крышку до них и залить туда масло. "Бортики" это выемки в крышке. Надеюсь, вы меня поняли, если нет, то я могу выслать фото. Тем самым вы сделаете ров, который будет не по зумам такой мелочи.

Аватар пользователя olga71

21 - LaRoS Тем самым вы сделаете

LaRoS
Тем самым вы сделаете ров, который будет не по зумам такой мелочи.

они перейдут по слою пыли, которым очень быстро покроется масло. придется постоянно чистить и заливать заново.

Аватар пользователя whex

22 - LaRoS вы сделаете ров,

LaRoS
вы сделаете ров, который будет не по зумам такой мелочи

Эти ребята бывают очень настырны, и, как настоящие самураи, презирают смерть) У меня они за ночь завалили ров трупами и ушли на свободу - не покормил вовремя)

Аватар пользователя LaRoS

23 - whex Эти ребята бывают очень

whex
Эти ребята бывают очень настырны, и, как настоящие самураи, презирают смерть) У меня они за ночь завалили ров трупами и ушли на свободу - не покормил вовремя)

Интересно) Ваши предложения?)

Аватар пользователя whex

24 - Предложения простое, как с

Предложения простое, как с каребарами: кормить их так, чтобы дальше поилки они не ходили. Какие ещё тут могут быть предложения?

Аватар пользователя LaRoS

25 - whexПредложения простое, как

whex
Предложения простое, как с каребарами: кормить их так, чтобы дальше поилки они не ходили.

У меня нет корм культур. Придется заказывать тараканов.

Аватар пользователя Feon

26 - LaRoS У меня нет корм

LaRoS
У меня нет корм культур. Придется заказывать тараканов

Прежде чем втридорога заказывать корм, рекомендую сначала проверить авито.
И не одними тараканами едины, на сверчков тоже можно обратить внимание, мураши едят их на ура.

Аватар пользователя prografix

27 - Фараонов можно много, чем

Фараонов можно много, чем кормить. Например, сухим кошачьим кормом и не только. Они в доме все объедки подбирают.

Аватар пользователя olga71

28 - Небольшую колонию можно

Небольшую колонию можно прокормить дрозофилами, которых фараонисы обожают. Погода ещё позволяет наловить мушек на развод.

Аватар пользователя Chekistoff

29 - Жду продолжение блога.

Блог годный, продолжай пожалуйста, Тимур)

Аватар пользователя LaRoS

30 - Feon Прежде чем втридорога

Feon
Прежде чем втридорога заказывать корм, рекомендую сначала проверить авито.
И не одними тараканами едины, на сверчков тоже можно обратить внимание, мураши едят их на ура.

Спасибо за совет. Конечно, лучше взять у людей из моего города, чем переплачивать за доставку.