Этой зимой я отдыхал в Jolie Villa Golf & Resort. Днем здесь бегают только леписиоты, остальные же ждут прихода темноты.
День первый
В первый же вечер, не далеко от номера, нашёл 3 матки макулатуса



Не далеко от номера обитает 3 семьи маков,

Ещё откармливал непонятно кого (может тетрамониум):

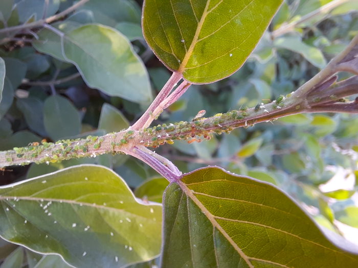
Также заметил очень странную мелочь (1,5 мм):

Комментарии
1 - День второй
День второй
Скарабей
Жертвоприношение кампам:




Пока сфоткал - она скрылась.
Полупрозрачные брюшка:
Леписиота:
2 - День третий
День третий

Такое я замечал ещё 3 раза.


Заметил, что макулатусы переносят "чемоданчиком" молодых рабочих (куда и зачем - не понятно):
Дегустация гуавы:
Леписиоты, едящие кампа:
Семья под фонарём
Копатель:


Вахтёр:
Челюсти он открыл, по тому что увидел в дали пробегающего паука.
3 - День четвёртый
День четвёртый




Кислотой не заливают, так что не больно.

Они есть не хотели, зато поел жук.
Гора черепов у входа к мегацефалам:
Солдат:
На четвёртый день уже стало нудно просто кормить кампов, решил попробовать, как кусаются, долго я их дразнил, чтобы они укусили:
Подкормка типа тетров:
4 - День пятый
День пятый, за пределами отеля
На выходе с отеля, в трубе оса решила основать гнездо
Недалеко от отеля в песку зарылись толпы муравьиных львов:




Эти мураши не жалятся, делают долгие тропинки в поисках семечек, мономорфны, длиной 4-6 мм.
Недалеко от львов, на пальме сидит самец маков:
Пройдя немножко по дороге, ползали собиратели типа мессоров, которые активничают круглые сутки:
Их неприметное гнездо:
5 - День шестой
День шестой, за пределами отеля





Живут между сухими листьями пальмы.



Соленопсисы (возможно Solenopsis kochi):
Термит:
Фейдолей (может мегацефала):
Долиходерина (наверное тапинома):
Трихомирмексы (предположительно деструктор):
Вот так они переселяются. Словил 10 маток и где-то под три сотни рабочих.
6 - День седьмой
День седьмой

Арбуз

Диня


Потом она спокойно убежала в гнездо.
Под фонарём, возле семьи макулатуса, оказалось, живёт непонятная мелочь. Угостив их арбузом, выползла толпа рабочих и солдат, как оказалось, это какие-то микрофейдольки (это, наверное, те же фейдольки которых словил Муравейка) :
Вечером у семьи макулатусов намечался лёт. Долго я возле них сидел, но матки вылазили на несколько секунд, и прятались. Решил выгнать одну крылатую матку, чтобы сфоткать, но ярый защитник, не раздумывая где укусить, сразу же разрезал палец:
Но матку я всё же сфоткал:
Вечером на балкон отеля прилетел ястреб.
С начала

воробей переростокястреб перепугано смотрел на меня:А потом и уснул:
Заброшенный отель
Здесь я попал на переселение собирателей, похожих на мессоров. Они переносили куколки и личинки с щели в бордюре в сугроб с листвы:




Фейдоли, пасущие тлю:
На каком-то молочае обитают гусеницы, и пасут тлю соленопсисы:
Соленопсисы выгрызают в коре этого молочая проходы, чтобы их никто не сьел:
7 - День девятый
День девятый
Оазис пустыни
В пустыне, без полива, растет какой-то молочай, на котором соленики и собиратели пасут тлю:




Также там живут гусеницы:
Которые со временем стают бабочками:
Ещё там обитают мухи, которые мимикрируют под ос (я даже по началу подумал, что это они и есть):
Цветочок:
Добытчик:

Какой молодец - мало того что полное брюшко, ещё и паука завалил.


Каждое утро, идя на пляж, меня встречали эти довольные ящерицы:
Спасибо за внимание !
8 - Феидоле под фонарем похоже на
Антон, спасибо. Интересный фото-рассказ получился. Феидоле под фонарем похоже на Pheidole pallidula
9 - Будем определять
Спасибо.
Может быть, но у паллидулы солдаты растут до 4 мм, а эти только 2 мм.

Я
сделал настойкузаспиртовал 4 вида неизвестных мурашей для определения:Фейдоле: рабочий и солдат; собиратель; типа тетра; соленопсис (kochi ?)
Будем определять !
10 - Если такие мелкие, то тогда
Если такие мелкие, то тогда Pheidole pieli
11 - Как же приятно любоваться
Как же приятно любоваться этой красотой когда за окном собачий холод :) Я по доброму завидую вам.
12 - Антон гЯ сделал настойку
Я думал, что каждого вида по 5 рабочих было взято) Для определения лучше брать побольше. Надо было все-таки Кампонотусов тоже взять, интересно.
Вообще, мне гораздо более интересны живые насекомые, так как трупики очень мало могут дать информации об особенностях поведения, но узнать кого видели, всегда интересно)
13 - Глядя на это я лишь думаю о
Глядя на это я лишь думаю о покупке макулатуса)) Спасибо за интересное повествование!
14 - Матка маков отложила яйца
Матка маков отложила первые яйца !

Кормлю яблоком с мёдом и маленькими надрезанными тараканами. Но ест с небольшим аппетитом, наверное наедается.
15 - Матки кампонотусов способны
Матки кампонотусов способны создать семью без подкормок. Напротив, если ее тревожить (для кормления),она может начать есть расплод. Кормить нужно после появления первых рабочих муравьев.
16 - vitimof Матки кампонотусов
Я это знаю, но когда я её словил она уж очень была исхудавшая, видно не один день бродила в поисках места для гнезда.
Когда кормлю, она не нервничает, спокойно сидит с расплодам, а через некоторое время идёт есть.
17 - Личинка
В макулатуса с яйца вылупилась личинка:

18 - Уже кокон
Матка переселилась в новую чистую пробирку, уже в ней личинка окуклилась и вылупилось 3 маленькие личинки:

19 - О, египетские кампы, один из
О, египетские кампы, один из нечастых гостей. Я бы сказал, что это не мак, а некогда его подвид, египтиакус, который в прошлом столетии стал отдельным видом. Но всё равно, муравей отличный, желаю успехов.
20 - Colobopsis Я бы сказал, что
Будем определять !
Спасибо.
21 - Антон г Будем определять! Я
Я когда-то писал в Myrmex про них. Вот ссылка на пост: