В Днепропетровском торгово развлекательном центре открылась выставка экзотических животных. Организатор выставки (мой хороший знакомый) предложил мне, в качестве одного из экспонатов, выставить кого-нибудь из муравьев. Договорились так: с него все террариум и прибамбасы, с меня муравьи и формикарий. Изначально, я предполагал предоставить колонию мессоров, но, когда увидел заказанный под муравьев террариум, понял, что тут нужно что-то более многочисленное. Пришлось на время расстаться со своими кампонотусами с о.Мадагаскар (они очень похожи на Camponotus fellah). За ночь нужно было "склепать" и установить экспонат. Для кампонотусов мною был изготовлен формикарий - 450*200*40мм, наполнитель - алебастр.
Итак, меньше слов, больше фоток!
Террариум по спецзаказу: высота 70см, ширина 65см, глубина 45см (калькулятор рассчитал объем в 204,75 литра - вот муравьям будет раздолье). Термошнур - 5м. Коряга для пробежек к потолку за сиропом 75см.

Термошнур нужен был только для прогревания одной стороны формикария с двумя камерами, чтобы у муравьев было сухое и теплое место, куда они обычно складывают коконы, поэтому лишнюю длину распределил по свободной площади.

Шнур закрепляю клейкой лентой и сажаю на силикон (ленту в последствии удалю).

Прамо под сеткой приклеена миска для сиропа. В сетке есть отверстие для подачи питательной жидкости, посредством шприца с иголкой.

Целых 75 сантиметров вверх нужно преодолеть, чтобы добраться до живительного напитка :)

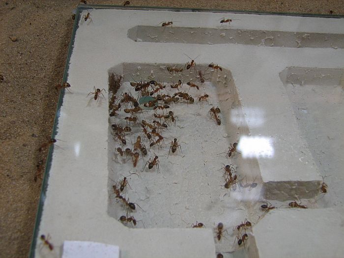
Засыпаем песок. Старый формикарий через арену соединен с новым, в который перебралось где-то 30% рабочих и перенесли 80% расплода.

Отсоединяю трубку - выпускаю муравьев на арену.

Теперь у них 2 дома. Надеюсь на то, что скоро все переберутся в новый форм.

Консерваторы, до сих пор ютятся в старом жилище (матка с ними).

Новаторы - в новом и просторном жилище.

Похоже, переселение в новые апартаменты неизбежно.

Общий план.

Экспозиция "муравьи" среди остальных.

Комментарии
1 - Несмотря на то, что я
Несмотря на то, что я всячески пытался избежать конденсата (даже положил формик на термоподложку, чтобы он не мог подогреваться снизу от стекла), ничего не получилось. Гипс в формикарии нагревается сбоку через песок, и его температура больше, чем у покровного стекла, на котором и образуется конденсат. Наличие 2х сухих камер, которые прогреваются сверху, не помогает - коконы в них не носят, т.к. там слишком жарко. Почти все рабочие ушли в старый форм и перенесли туда расплод.
3 дня тому назад, полностью отключил термошнур, надеюсь, что скоро конденсат пропадет и кампы вернутся в новый форм.
2 - ну вобщем все как всегда,
ну вобщем все как всегда, думаешь одно а на практике получаеться все совсем по другому :))))) удачи.
3 - Получилось всё очень
Получилось всё очень красиво.
Хотелось бы посмотреть видео с посетителями и их коментариями ) ))
4 - Красивый формикарий. Камеры
Красивый формикарий. Камеры ровненькие, аккуратные. Они так и стоят на выставке в двух формикариях?
5 - Да, до сих пор два
Да, до сих пор два формикария. Причем, почти все муравьи теснятся в старом. В новом слишком много конденсата под стеклом, надеюсь, что он исчезнет со временем, т.к. я предусмотрел небольшие щели между стыками стекол.
6 - Красиво=) 10+=) Хорошо им там
Красиво=) 10+=)
Хорошо им там житься будет=)
7 - Да, до сих пор два
Значит надо открыть старый.
8 - Я некропостер!
Прошло столько времени, а я так и не рассказал о дальнейшей судьбе данной колонии.
Сейчас собираюсь организовать что-то подобное в зооцентре при доме пионеров, вспомнил про выставку, нашел фотки подросшей колонии - никак не могу не выложить!
Вопреки всем моим ожиданиям, на протяжении почти всей выставки (незадолго до закрытия я забрал их обратно, чтобы немного переделать конструкцию и заселить огромной колонией структоров от Азазеля) эти кампонотусы просто жировали! Каждый день, сотрудники их подкармливали свежим сиропом, а также живыми мраморниками. Термошнур, длиной в несколько метров, обогревал часть формика и песок на арене. Среди других экспонатов, муравьи стали притягивать к себе все больше внимания. Формикарий был заполнен до отвала расплодом, солдатами и рабочими. Толпы муравьев сновали по коряге, к чашке с сиропом, которая была приклеена к верхней части коряги. Было интересно наблюдать весь процесс употребления божественного пойла. Момент обнаружения разведчиками, мобилизация, бегущая орава голодных ртов, толпа раздутых бочек, которые спешили вниз, чтобы поделиться сиропом. Другие отряды "четких пацанчиков" гоняли "приезжих" недобитых мраморников. Жизнь кипела...
Потом у нас нарисовалась огромная колония мессоров от Азазеля, появилась идея-фикс модернизировать экспонат и колония кампонотусов ушла на пенсию. Эксгаустером с арены были отловлены все бродяги и помещены в миниарену (5л. пластиковая бутылка), затем отправлены домой на покой.
Стресс от переезда, а также от потери такого райского уголка, сделали свое дело и колония немного поредела. Нашел домашние фотки слегка поредевшей колонии. Наверное фотографий разросшейся колонии с выставки не делал, или где-то потерял.
P.S.: Со временем (из-за частых переездов, стрессов и грусти по "райскому уголку") матка стала нести все меньше и меньше яиц и колония постепенно вымерла (возможно и состарилась).