Помогите опознать, кто завелся у меня на дачном участке.
Фото, к сожалению, только такие:


Непознанные муравьи завелись в дачном душе. В первый раз увидела их в июне прошлого года, когда они усиленно грызли утеплитель нагревателя. Пол под нагревателем был усеян трухой, и выселение непрошенных гостей было неизбежно. Муравьи с расплодом были по возможности отловлены, матка не найдена (тогда я подумала, что она погибла). Выпускать сироток «на волю» я сочла негуманным, и они живут у меня до сих пор, сократившись в численности с 60 до двадцати с хвостиком.
Совершенно неожиданно, неделю назад, при установке домика из трубочек для перепончатокрылых под крышей душа, был замечен муравей, бегущий по проволоке к ближайшей яблоне. Муравей был точно, как в моей безматочной колонии. Подвесив в месте соприкосновения проволоки с веткой крышечку с сиропом, очень скоро я могла наблюдать с десяток окруживших её муравьев. В душ они возвращались с прозрачными, брюшками, казавшимися в лучах солнца янтарными.
По описанию и поведению муравьи очень напоминают… не буду пока говорить, чтобы не мешать «опознанию».
Характерные черты:
1. Почти не ходят по земле. Живут в стене или под крышей (нагреватель, с которого всё началось, висит на высоте около 70 см над полом), до яблони добираются по проволоке на уровне примерно 2 метров над землей и дальше уходят вверх в крону.
2. Имеется каста солдат. По размеру они чуть крупнее рабочих, в основном отличие в размере головы. В формикарии один из солдат так вцепился мне в палец, что оторвать было невозможно.
3. В формикарии кто-то из муравьев откладывает яйца, из которых выводятся крылатые самцы.
4. По размеру тела примерно как формика руфа. Лапки рыжевато-коричневые, тело темное, черно-коричневое.
Дело происходит в Тульской области, почти на границе с Московской.
Таких муравьев раньше на моем дачном участке 100% не было.
1 - .
Похожи на этого?

2 - Думаю что это Camponotus
Думаю что это Camponotus fallax (блестящий муравей-древоточец).
3 - likemanПохожи на
Да
Тоже это подозреваю, но не могу поверить, что такое ЧУДО, о котором можно только мечтать, само у меня поселилось. Ветки яблони, касавшиеся соседской вишни и забора, сразу обрезала: не хватало, чтоб МОИ муравьи ходили к соседям )))
Интересно, что муравьи будут делать на деревьях? Уничтожать вредителей или разводить тлю, подобно нигерам? И не будет ли вреда строению, в котором они поселились (этот вопрос очень волнует домашних)? И не можем ли мы случайно навредить колонии? Летом душем активно пользуются, а возле него идут строительно-копательные работы.
4 - ...
Какой-то камп - или фаллакс, или лигниперда.
Без мелкоскопа не разобрать, наличник смотреть надо.
Вот хто это?
Портрет - выбил всё, что выбивалось :(, но всё равно не видно наличник:
ИМХО - фаллакс.
Сколько я видел лигниперды, они обычно живут или в основании ствола, или в пне, или в почве у корней (с частью гнезда всё равно в дереве), а вот фаллаксы на землю спускаться не очень любят.
Жить.
Я не знаю, кто такие "вредители", но тлю разводить будут точно.
5 - mehraban ИМХО -
Перелопатив описания разных муравьев, я именно по этому признаку заподозрила фаллаксов. Ну и ещё только про них было написано, что солдаты откладывают яйца, из которых выводятся самцы.
В основном, долгоносики и гусеницы плодожорки.
Меня ещё волнует вопрос, можно ли кормить муравьев сиропом "сколько влезет", если до конца июня это будет получаться только один раз в неделю? Не будет ли вреда от такой неравномерности?
6 - ...
Насчёт долгоносиков не знаю, но выколупывать плодожорок из яблок муравьи вообще вряд ли будут.
Они в благодарность заселят тлёй не только ваш сад, но и все соседские :)))
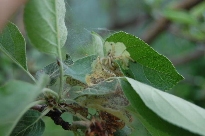
7 - mehraban выколупывать
изначально гусеницы живут в больших паутинных гнездах. Примерно так это выглядит (фото из сети):
Придется чем-то пожертвовать за возможность обладания такими красавцами. Пойду в отпуск и целыми днями буду за ними наблюдать (эх, мечты-фантазии).
8 - ...
Плодожорка живёт в плодах.
В паутинных гнёздах живут многие - горностаевая моль, боярышница, другие - но не плодожорка.
9 - mehrabanВ паутинных гнёздах
тьфу, перепутала. имела в виду листоверток. муравьи на них будут охотиться?
10 - ...
Опять мимо :))) - листовёртки живут по одной в свёрнутых листьях, гнёзд не строят :)))
Скорее всего, у вас - горностаевая моль, она очень распространена в садах.
Кампы ваши - вряд ли, или только единично. Они в основном собиратели.
Это больше к формикам, особенно всяким поликтенам - вот уж кто в самом деле охотится.
А ещё больше - к птицам, тем более, что сейчас как раз гнездовой сезон.
11 - .
Был свидетелем, как муравей (предположительно поликтена) успешно поймал муху, вьющуюся над муравьиной тропой. Я припупел от неожиданности, когда это увидел. Мураш просто подпрыгнул и вцепился в муху. Оба упали на тропу, и другие мураши тут же помогли прыгуну стреножить нахалку.
12 - likeman Был свидетелем, как
Был свидетелем, как сервиформики массой забили шмеля.
Парочка фуражиров пили нектар на крыжовнике, и, так получилось, схватились в неравной борьбе со шмелём. Естественно эта куча рухнула на землю, где, опять же, набежало подкрепление.
А про охоту на златок и нечего говорить. Этих неповоротливых любителей сладкого только и успевают таскать в темные залы муравейника на растерзание.
Не перестаю восхищаться этими созданиями.
13 - ...
Kak nefig delat' :))) - подобные штуки у формик получаются легко. ИМХО, самые хищные из наших муравьёв.
Другое дело, что там могла быть не очень простая муха.
Двукрылых на муравьях паразитирует достаточно, и кружащаяся над тропой самка могла откладывать яйца.
Или на самих муравьёв, или на субстрат.
14 - mehraban Кампы ваши - вряд
На кого-то они должны охотиться, иначе где они возьмут белок на дереве?
Формики на дачном участке - мечта всей моей жизни. Но боюсь, нереализуемая (хотя в теории, если поймать матку, подкинуть рабочих и коконы, а потом подросшую колонию выпустить на участке, то всё может получиться). Да и сомнительно, чтобы домашние и соседи обрадовались обилию крупных агрессивных муравьев. Фаллаксы в этом плане проще - если крону над головой не разглядывать - их и не заметишь.
15 - .
Михаил, по-хорошему завидую обширности и разносторонности Ваших познаний по множеству вопросов. :)
16 - ...
Ничего не понял :D)))
Белки кампам зачем нужны?
Шить маленькие аккуратные беличьи шубки на зиму? :D))))))
Скрытый текст
А если вы про белок, то он и в пади есть, и дохлятины хватает, охотиться им особо незачем.
17 - У меня кто-то похожий на даче
У меня кто-то похожий на даче в трехступенчатой лестнице на крыльцо завелся, нижняя ступень и боковина пустотелые внутри и сыплется труха. Большие, быстрые муравьи, носятся словно угорелые. Ловить и рассматривать некогда было))
18 - mehraban и дохлятины
это на земле, а на не особо большом дереве она откуда в достаточном для семьи кол-ве?
Ужасно боюсь, что у меня тоже начнет труха сыпаться, и домашние потребуют экстренного выселения. Именно за труху муравьев год назад из нагревателя выгнали.
19 - olga71 Именно за труху
Я не утверждаю совершенно определенно, что труху сделали сами муравьи. Возможно, дерево подгнило, затрухлявилось и муравьи поселились в образовавшуюся полость.
по хорошему, конечно, надо их отловить и опознать. Так сказать, для уверенности. Но вроде бы похожи)))
20 - calesco Возможно, дерево
У меня они грызли ходы в материале, похожем на строительную пену. Усыпали весь пол внизу опилками, да ещё очень шумели, хруст на весь душ был.
21 - olga71 У меня они грызли ходы
Прямо какие-то термиты
22 - .
Наконец-то хоть какое-то объяснение тому, что мои "дачные" фулигинозусы практически ничего, кроме пади, не потребляют, исходя их моих за ними наблюдений.
А фулигинозусы "домашние" без проблем обходятся одним медовым сиропом по той же причине?
23 - ...
Полно.
Те же гусеницы дохлые, их шкурки, куча всякой мелочи, живущей на коре.
Если тля - они отлично собирают и используют не только падь, но и самих тлей.
Это же не медведь и не тигр, там общая биомасса колонии - граммы. Не так уж много азота в абсолютных цифрах и нужно.
Подозреваю, что да.
Опять же, работ по реальной потребности муравьёв в биологическом азоте лично мне не попадалось, но вряд ли так уж она велика.
24 - Вывела домашнюю безматочную
Вывела домашнюю безматочную колонию из зимовки. После того, как начала подогревать ковриком, самцы толпой вывалили на арену и начали по ней носиться, делая попытки взлететь. Теперь каждый день запускаю наиболее рьяных с балкона: ставлю арену возле открытого окна и прилепляю к ней пластилином палочку, по которой они поднимаются на "стартовую площадку". В комнате арену приходится накрывать крышкой, потому что собирать с самцов с занавесок проблематично, уж больно шустрые.
Интересно, являются ли самцы, выведенные из яиц, отложенных рабочими, полноценными? И можно ли выпустить "домашних" муравьев в их родную колонию? Крылатые самцы вывелись в формикарии, но почти все рабочие были пойманы год назад (только несколько штук вывелись из личинок, изъятых из нагревателя).
25 - ...
Вот мне это тоже интересно.
НМВ - будут, т.к., по сути, никаких принципиальных отличий от "правильных" самцов вроде бы нет.
Попробуйте.
Запах должен сохраниться.
26 - mehraban Попробуйте. Запах
Я сначала попробую подсадить в формикарий "дикого" рабочего. Если на него не набросятся - пристрою формик на дерево и открою выход. Наблюдать за вымирающей колонией грустно, хочется вернуть бедняжек в семью.
27 - ...
А ещё можно попробовать подсадить матку - другого вида.