Мучник продан, мадагаскарцев тоже нет.
Лазиусов около 200, цена также
Вагусов стало 14, потуму цена уже 200грн
Есть матка мессор
говорите свою цену, договоримся)
Іvan, собсна ответ Вы так и не дали. Вопрос стоял не "подходит ли такой размер", а почему все так думают. Я спокойно выращивал семьи л.нигера и мирмики в конструкциях с временно лишними камерами. Да и в конце концов, вход в гнездо они "замуровуют" остатками пищи, при желании могли б замуровать и проходы к лишним камерам.
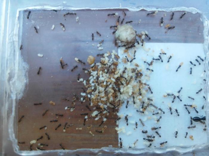
Здравствуйте. Завел недавно маленькую семью вагусов, учитывая их капризную натуру, в чем уже убедился, хотел бы проконсультироваться на счет возникших проблем. Семья маленькая 7 муравьев и матка. Не могу понять в чем проблема. Переселил из пробирки по причине гниения остатков насекомых у влажной ватки. Живут в горизонтальном гипсовом миниформикарие с покрытым сверху стеклом. Длина 15 см, шырина 9 см, высота 2,5 см. Увлажняю 10мл в день, по 5 мл. Рацион: мухи, дрозофилы, мучник, мрамор. Белок едят. Сироп 1/5 сахара. Личинки, коконы есть, яиц нет. Основные вопросы: какой уровень влажности оптимален? Может подогреть до 28С? Почему бытует мнение, что малые семьи плохо развиваются в миниформикариях? Возможно имаго погибают от сиропа, можно его временно удалить из рациона?
Г.Ровно (Северо-западная Украина)
Лет лазиус брунеус во второй половине дня, не массово.
До, вся неделя жаркая, без дождя, ясно.
Температура +29С, влажность 49%
Все начиналось с маленькой пробирки с мелкой маткой и дюжиной свиты на дне. Это было настолько "жалкое" зрелище, как для тетр, что даже фотографий делать не хотелось. Но время шло, тьма медленно, но непрерывно развивалась... И вот они... оно заполнило пробирку.
Так вот, время шло, тьма поглощала все больше пространство-времени, настал тот судный час, когда я и реши сделать и форм. И поскольку идея эта пришла мне в ванной, материал я взял оттуда же.) Основой послужила бутылка с шампуня. Высота 14см, ширина 8 см. Залил гипсом и т.д. Ходы вырезал всем, удачнее всего напильником для дерева.
иван–зоо, да, понимаю. Тетру вообще трудно контролировать при тысячных размерах, тяжелее только фараонисив. Но пока масляныой барьер и крышка на ночь, справляются с задачей, а потом что-то да придумаю. Надо еще поэкспериментировать с машинным маслом и "двойной крышкой"... Да и в конце концов, думаю вручить эту колонию желающему, интересный суперогрганизм, а времени не хватает.
Продам колонию
Мраморник продан
Кампонотус вагус продан)
А можно как-то отправить в Украину?Да чтоб не дорого?
Продам
Мучник продан, мадагаскарцев тоже нет.
Лазиусов около 200, цена также
Вагусов стало 14, потуму цена уже 200грн
Есть матка мессор
говорите свою цену, договоримся)
Продам
Как-то перебор уже "этих" названий на сайте, сайте о муравьях...
У кого есть возможность переправить посылку из России в Украину (не дорого)?
Продам 12 пробирок,с бонусом в виде колоний Л.нигера(5-20мур) , по 20грн
У вагуса уже 8 рабочих.
Еще есть 13 начальных, по 15мур, колоний лазиуса нигера в пробирках.
мадагаскарики 40грн (по 20), беременная самка и самец.
Вагус 125грн (или кто больше)
Беру!!!)
Извините, не удержался)
Ути-пути, мимикрипер^^
Дуже хочу мессорів! Буду вдячним за такий дар. Написав в лс
Ой-е-ей...
Malleus, спасибо. Вы вселили в меня уверинность, немного, а главное подняли настроение. Черт их знает, в конце концов)
Іvan, собсна ответ Вы так и не дали. Вопрос стоял не "подходит ли такой размер", а почему все так думают. Я спокойно выращивал семьи л.нигера и мирмики в конструкциях с временно лишними камерами. Да и в конце концов, вход в гнездо они "замуровуют" остатками пищи, при желании могли б замуровать и проходы к лишним камерам.
Здравствуйте. Завел недавно маленькую семью вагусов, учитывая их капризную натуру, в чем уже убедился, хотел бы проконсультироваться на счет возникших проблем. Семья маленькая 7 муравьев и матка. Не могу понять в чем проблема. Переселил из пробирки по причине гниения остатков насекомых у влажной ватки. Живут в горизонтальном гипсовом миниформикарие с покрытым сверху стеклом. Длина 15 см, шырина 9 см, высота 2,5 см. Увлажняю 10мл в день, по 5 мл. Рацион: мухи, дрозофилы, мучник, мрамор. Белок едят. Сироп 1/5 сахара. Личинки, коконы есть, яиц нет. Основные вопросы: какой уровень влажности оптимален? Может подогреть до 28С? Почему бытует мнение, что малые семьи плохо развиваются в миниформикариях? Возможно имаго погибают от сиропа, можно его временно удалить из рациона?
Миниформ
Народ, помогите!
А вот сколько их будет у Вас? Посмотрим, удачи)
Семьи у них не многочисленные, насколько я знаю, не великоват ли формик?
Че за бред??!!Надеюсь это была шутка?
Г.Ровно (Северо-западная Украина)
Лет лазиус брунеус во второй половине дня, не массово.
До, вся неделя жаркая, без дождя, ясно.
Температура +29С, влажность 49%
Все начиналось с маленькой пробирки с мелкой маткой и дюжиной свиты на дне. Это было настолько "жалкое" зрелище, как для тетр, что даже фотографий делать не хотелось. Но время шло, тьма медленно, но непрерывно развивалась... И вот они... оно заполнило пробирку.
Фото 1
Фото 2
Фото 3
Так вот, время шло, тьма поглощала все больше пространство-времени, настал тот судный час, когда я и реши сделать и форм. И поскольку идея эта пришла мне в ванной, материал я взял оттуда же.) Основой послужила бутылка с шампуня. Высота 14см, ширина 8 см. Залил гипсом и т.д. Ходы вырезал всем, удачнее всего напильником для дерева.
Фото 4
Фото 5
Фото 6
Фото 7
Собственно процесс переселения...
Фото 8
Фото 9
Фото 10
Фото 11
А Тьма растет,ибо ночь темна и полна ужасов...
Фото 12
Фото 13
Фото 14
иван–зоо, да, понимаю. Тетру вообще трудно контролировать при тысячных размерах, тяжелее только фараонисив. Но пока масляныой барьер и крышка на ночь, справляются с задачей, а потом что-то да придумаю. Надо еще поэкспериментировать с машинным маслом и "двойной крышкой"...
Да и в конце концов, думаю вручить эту колонию желающему, интересный суперогрганизм, а времени не хватает.
так он и не полител в 54, а в 61....
Malagant, все герметично, склеено суперклеем, а потому не боюсь)
Screenshotik, на вкус и цвет...
Тем более что подбрасывать буду не всем, их у меня 20, вот и посмотрю разницу в развитии.
Как думаете, кому лучше подбрасывать коконы, маткам у которых уже есть и яйца и личинки, или тем, кто еще не отложился?
Если форм открытый, то можно прям там и арену.
Ждем фото)