Messor structor(miticus) (Переименовано)

Тема переименована

Скрытый текст

Продолжение ниже

Изображения: 
Аватар пользователя Surem

1 - EgorAS, прошло 4 недели и

EgorAS, прошло 4 недели и личинки не появились?

Аватар пользователя EgorAS

2 - Surem прошло 4 недели и

Surem
прошло 4 недели и личинки не появились?

Я сам в шоке что за такое время у нее нет рабочих

Аватар пользователя Surem

3 - EgorAS Я сам в шоке что за

EgorAS
Я сам в шоке что за такое время у нее нет рабочих

На самом деле рабочих можно и 2 месяца ждать, а вот перешли ли яйца в личинки или нет?

Аватар пользователя EgorAS

4 - SuremНа самом деле рабочих

Surem
На самом деле рабочих можно и 2 месяца ждать, а вот перешли ли яйца в личинки

Это яйца, так как я паралельно содержу мирмик, там яйца в пакете, а личинки по отдельности
У моей мессорши именно яйца
Может в тепло поместить? У меня в ванной комнате круглый год отпаливается(свой дом) поэтому проблемы найти тёплое место в доме нет
Матка из Ростова-на-Дону, там в это время жара, а в Оренбургской области тоже тепло , но не так сильно

Аватар пользователя Surem

5 - А можешь покрупнее сфоткать

А можешь покрупнее сфоткать расплод? С макролинзой или лупой?
Если у тебя в квартире есть 24 градуса - этого достататочно, не надо место потеплее искать.

Аватар пользователя EgorAS

6 - SuremА можешь покрупнее

Surem
А можешь покрупнее сфоткать расплод? С макролинзой или лупой?

Могу, но фото в не очень хорошем качестве, да и фотограф из меня не профессиональный)

IMG_20190730_000224.jpg IMG_20190730_000307.jpg
Аватар пользователя Surem

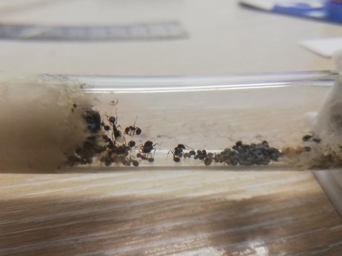
7 - Солидный пакет расплода. И

Солидный пакет расплода. И выглядит хорошо. Может еще пару недель подождать?

Аватар пользователя EgorAS

8 - Surem Может Может Думаю,

Surem
Может

Может
Думаю, убрать подальше, чтобы руки не чесались лезть к ней каждые пять минут)) 0

Аватар пользователя likeman

9 - .

Как-то для интереса отсадил одну из появившихся в семье самок. Неопродотворённую. Надеялся таким образом дождаться от неё самцов. Но дело дальне такого вот пакета яиц так и не продвинулось.
Может быть, Ваша самка тоже непродная.

Аватар пользователя Маламут

10 - Мне тоже кажется, что

Мне тоже кажется, что жизнеспособные оплодотворенные яйца уже должны были во что-то хоть но привратиться. У меня подобное было с маткой нигера - так и выпустил ее. Не дождался.

Аватар пользователя EgorAS

11 - Все это очень странно

Все это очень странно выглядит
Может матке помошник нужен? Я вроде читал что Виктор (KVA) подкидывал личинки мирмик

Хорошо, что у пицеусов все не так плохо, у них хоть личинки развиваться начали

Аватар пользователя Azazel

12 - накройте полотенцем, положите

накройте полотенцем, положите в темное место и не трогайте 3 недели !

Аватар пользователя EgorAS

13 - Azazel накройте полотенцем,

Azazel
накройте полотенцем, положите в темное место и не трогайте 3 недели !

Уже, но я както уже потерял надежду
Будем ждать, потом отпишусь

Аватар пользователя Евгений Власов

14 - аналогичная ситуация

аналогичная ситуация у моей матки...
Была куплена с расплодом 2 недели назад, ничего не изменилось - только яйца.
Матка была поймана в апреле - прошло уже 5 месяцев.
Что с ней не так? проверяю раз в неделю, из еды только мак.

IMG_20190803_120424.jpg IMG_20190803_120456.jpg IMG_20190803_120330.jpg
Аватар пользователя Яр

15 - Евгений Власов Что с ней не

Евгений Власов
Что с ней не так? проверяю раз в неделю, из еды только мак.

Возможно, матка как матка, но пересылки-передержки сделали своё чёрное дело (очень маловероятно), а возможно... тут придётся зайти издалека: я самок всегда ловлю сам - тех что водятся в моей местности и всегда в целом ряду самок в одинаковых условиях есть такие, у которых всё развивается нормально, но есть и такие (иногда около 40%), у которых развитие расплода отстаёт, иногда - отстаёт очень сильно, вплоть до полного ступора. Чем это можно объяснить - я не знаю, честно говоря. Обратите внимание на температуру - нежелательно, чтобы она была ниже 26С. и выше 28-29С.

Аватар пользователя EgorAS

16 - Варианты помощи бедной матке мессор

Итак, спустя 2,5 недели, мое терпение лопнуло, и я решил проверить состояние матки. Опять кормовая личинка.... Что это, я не знаю, не кормил после последнего поста, мак был... Могла падать температура, так как я иногда перед сном проветриваю комнату. Но этот перепад очень незначителен. Я собираюсь взять у одного хорошего человека матку мессоров с 10 рабочими,т.к хочу жнецов к новому году, а зимой доставка почтой-это лотерея
Есть 4 возможных варианта:
1)взять куколок из новой семьи, и подкинуть к матке, предварительно переместив матку в ванную(дом отапливается круглый год, но летом-только ванная комната), т.к возможно, низкая температура для матки
2) взять куколок из новой семьи, не убирая матку в ванную
3)переместить матку в ванную, не подкидывая куколок
4)ничего не предпринимать

Жду совета опытных людей, которые сталкивались с полобной проблемой, и ваше решение данной проблемы

Аватар пользователя Маламут

17 - Мне сдается, что раз уж за 5

Мне сдается, что раз уж за 5 месяцев нет никакой динамики - что-то не так с маткой. Ну не должно у жнецов так быть. В любом случае она не в состоянии производить полноценное потомство. Чисто из любопытства я бы даже хотел продолжить эксперимент, но мне почему-то кажется, что ничего из этого не выйдет. На "свободе" она все равно вероятнее всего обречена, так что хуже не будет.
Я бы подкинул куколок оставив на месте - жнецы точно не так болезненно реагируют на стресс - ничего им не будет. Мои по крайней мере и не такое переживали ))) А с помошниками все же веселее будет. Пусть даже и не так долго ((

Аватар пользователя EgorAS

18 - Приехала новая семья жнецов

И вот они у меня, уже в количестве матки и ~15 рабочих
Вам может показаться странным, но это самый желанный вид для меня
Не знаю, почему, но жнецов я всегда представлял себе меньшего размера(хоть и с продавцом мы живем в одном регионе, я у себя их никогда не видел, возможно потому, что он живет южнее, чем я)
Насыпал маку, дал знахаря
Собираюсь подключать мини-арену, т.к кормить не удобно

IMG_20190827_154441.jpg
Аватар пользователя Harpegnathos

19 - В Оренбурге должны быть

В Оренбурге должны быть мессоры и бегунки. По крайней мере в степи. Иван (CordedWare) присылал мне фото.

Аватар пользователя EgorAS

20 - Harpegnathos В Оренбурге

Harpegnathos
В Оренбурге должны быть мессоры и бегунки. По крайней мере в степи. Иван (CordedWare) присылал мне фото.

Бегунки есть, а вот мессоров нет
Скорее всего потому, что я живу севернее Оренбурга и Соль-Илецка
Вроде посмотришь-живем в одной области, а виды живут разные

Аватар пользователя EgorAS

21 - Вопрос про арену

Прикупил контейнер для арены, думаю, как сделать так, чтобы полностью не снимая крышку и не тормоша конструкцию(антипобег не в счет)
Есть идеи по изменению конструкции?

1567953705513.jpg 1566924704953.jpg
Аватар пользователя Faust

22 - EgorASкак сделать так, чтобы

EgorAS
как сделать так, чтобы полностью не снимая крышку и не тормоша конструкцию(антипобег не в счет)
Есть идеи по изменению конструкции?

Кажется, в вопросе что-то пропущено)

Если вопрос о том, как кормить не открывая крышку, то я делал так:

1. Обрезал горлышко с пластиковой бутылки от сока, закручивающейся крышкой (можно взять от 5л бутылки с водой, кефира или т.п., главное чтобы крышка была побольше в диаметре).
2. Паяльником в одной из сторон крышки контейнера вырезал отверстие нужного диаметра.
3. Приклеил с помощью термоклея.
4. Нанес антипобег (в виде блеска для губ) на края отверстия. Правда потом все таки нанес побег по всему периметру контейнера, все таки его когда-то тоже придется открывать)

В контейнер под этим "люком" положил широкий камень. На него длинным пинцетом ставлю поилки с сиропом, ложу тараканов и т.п. Если даю еду которая может запачкать контейнер, то предварительно ложу её в крышечку от какой-то бутылку и опускаю так. На фото можно видеть такую белого цвета.

Скрытый текст

Если вопрос о другом, тогда прошу прощения, что не в тему))

Аватар пользователя EgorAS

23 - Faust Если вопрос о том, как

Faust
Если вопрос о том, как кормить не открывая крышку, то я делал так:

1. Обрезал горлышко с пластиковой бутылки от сока, закручивающейся крышкой (можно взять от 5л бутылки с водой, кефира или т.п., главное чтобы

Примерно это я и хотел сделать, но у меня есть опасение, что я не успею закрыть крышку и придавлю мураша))
Хотя, вокруг этой крышки снизу можно нанести вазелин, и ее можно будет вообще не закрывать))
Спасибо ещё раз за идею, скорее всего так и сделаю

Аватар пользователя Faust

24 - EgorAS но у меня есть

EgorAS
но у меня есть опасение, что я не успею закрыть крышку и придавлю мураша

Ну, я по этому специально оставил 1-1,5 См от горлышка бутылки и с внешней стороны промазал их блеском для губ. Как антипобег действует очень хорошо.
Внутренняя сторона крышки контейнера:

Скрытый текст

Ну и/или промазать и сам периметр контейнера, чтоб на крышку вообще не лезли.

Аватар пользователя EgorAS

25 - Продолжаем блог

Давно не писал о муравьях
У жнецов стабильный рост, их уже около 30,и еще штук 10 на подходе

IMG_20191019_133606.jpg
Аватар пользователя EgorAS

26 - Последний пост был более 2

Последний пост был более 2 месяцев назад, поэтому решил немного обновить информацию
Одинокая матка загнулась, фото нет, пробирка занята тетриками
Вторая семья развивается, перед новым годом переехала на арену, оставшуюся от лазиусов(сейчас в зимовке, скоро буду доставать)
Ну и фото:

IMG_20200108_183646.jpg IMG_20200108_183547.jpg
Аватар пользователя EgorAS

27 - А у мессоров намечаются целых

А у мессоров намечаются целых 2 major-a
В принципе, особо сильно от предыдущего поста не изменилось

IMG_20200126_133810.jpg